New Search
Family, Subfamily and Tribe List
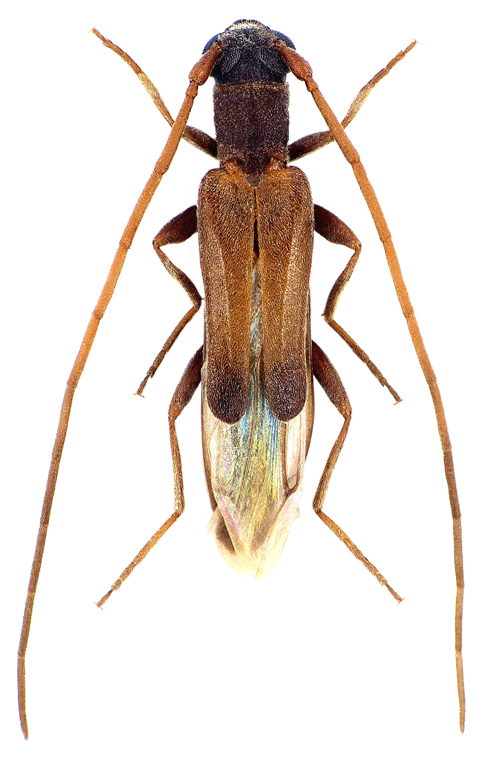
Family
Cerambycinae
SubFamily
Cerambycinae
Tribe
Psebiini
Genus
Mourgliana
Mourgliana
conspicua
Mourgliana
mollina
130503