New Search Family, Subfamily and Tribe List
new world both worldsboth worlds old world
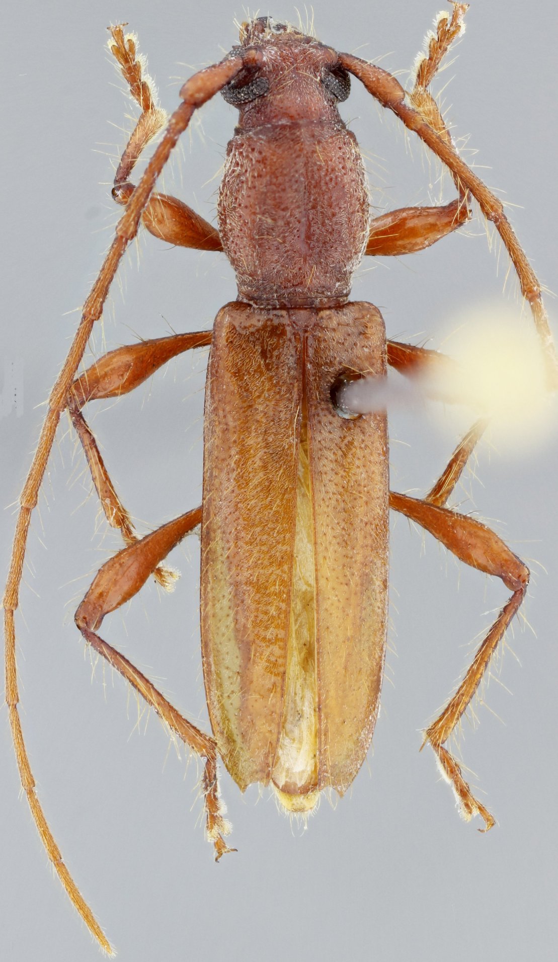
Family Cerambycinae
SubFamily Cerambycinae
Tribe Ectenessini

Genus Mirador


Mirador
ayrii


Mirador
bravoi

130503