New Search
Family, Subfamily and Tribe List
Family
Cerambycinae
SubFamily
Cerambycinae
Tribe
Trachyderini Trachyderina
Genus
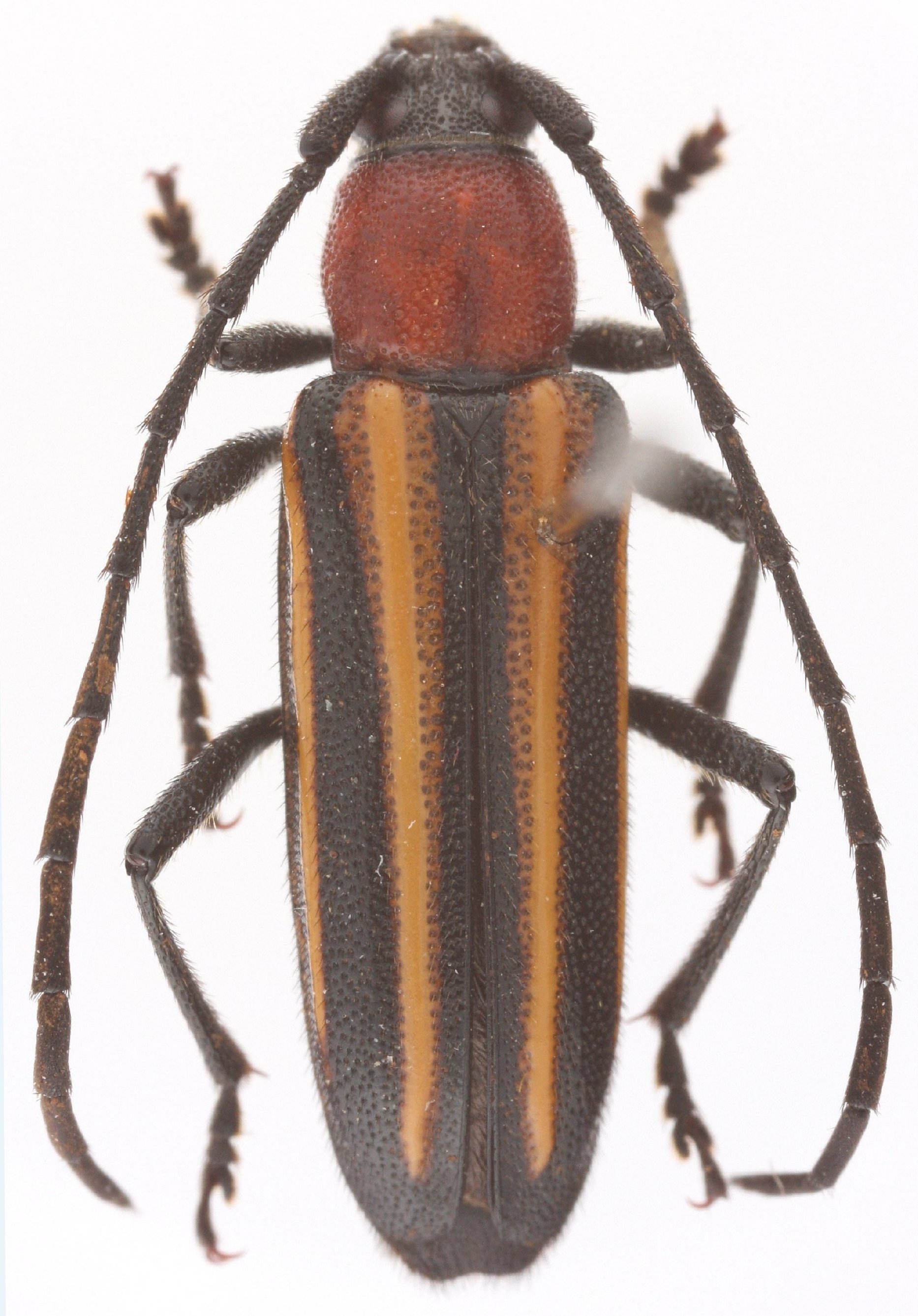
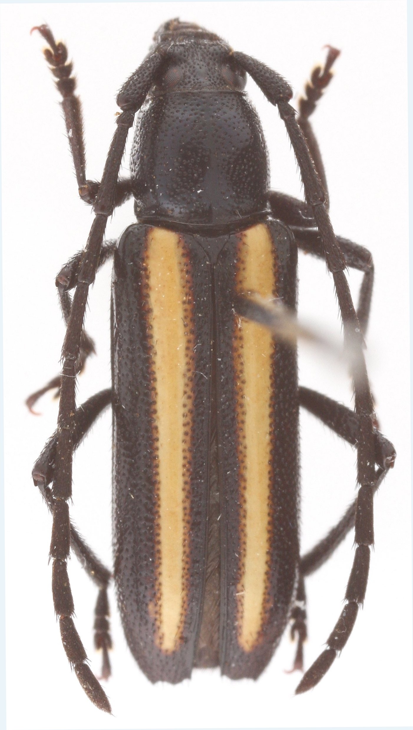
Microteroschema
Microteroschema
parvum
Microteroschema
pseudolaetum
130503