New Search
Family, Subfamily and Tribe List
Family
Lamiinae
SubFamily
Lamiinae
Tribe
Enicodini
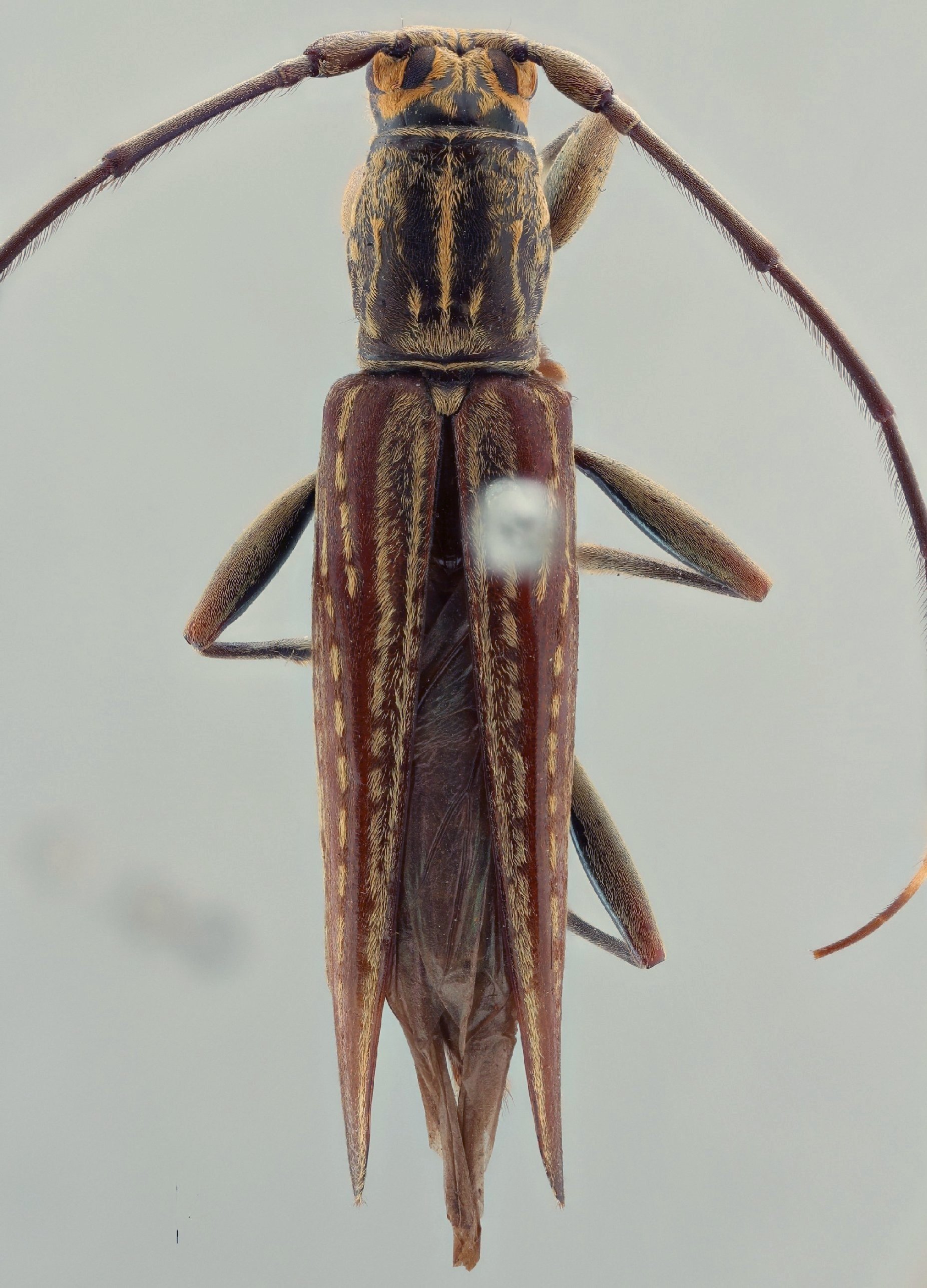
Genus
Leptenicodes
Leptenicodes
gracilis
gracilis
Leptenicodes
gracilis
variivestris
Leptenicodes
quadrilineatus
130503