New Search Family, Subfamily and Tribe List
new world both worldsboth worlds old world
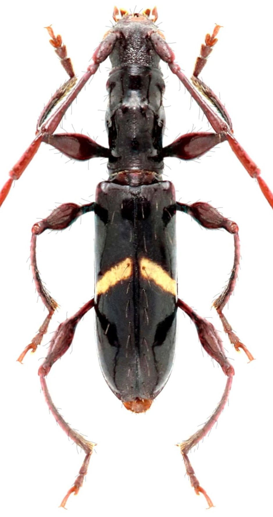
Family Cerambycinae
SubFamily Cerambycinae
Tribe Tropidini Compsina

Genus Kunaibidion


Kunaibidion
giesberti


Kunaibidion
panamensis

130503