New Search
Family, Subfamily and Tribe List
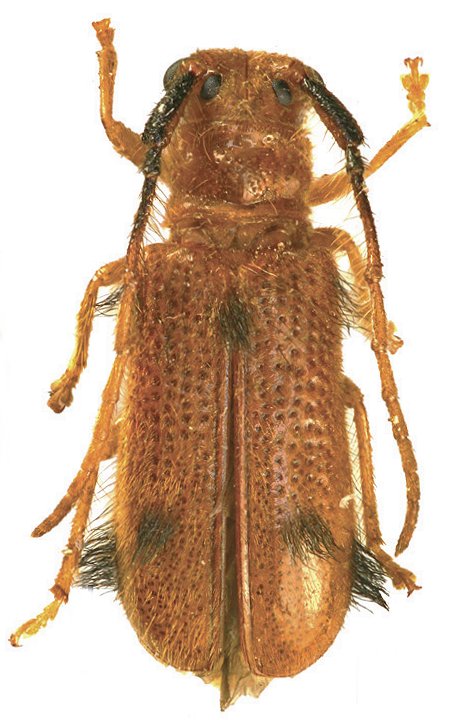
Family
Lamiinae
SubFamily
Lamiinae
Tribe
Astathini
Genus
Hispastathes
Hispastathes
ferruginea
Hispastathes
hispoides
130503