New Search
Family, Subfamily and Tribe List
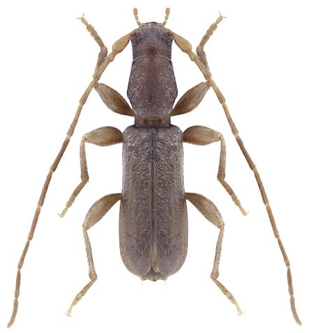
Family
Cerambycinae
SubFamily
Cerambycinae
Tribe
Graciliini
Genus
Gracilia
Gracilia
minuta
130503