New Search
Family, Subfamily and Tribe List
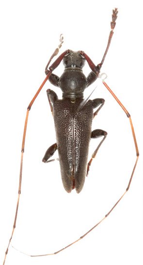
Family
Lamiinae
SubFamily
Lamiinae
Tribe
Lamiini
Genus
Gibbohammus
Gibbohammus
stricticollis
130503