New Search Family, Subfamily and Tribe List
new world both worldsboth worlds old world
Family Prioninae
SubFamily Prioninae
Tribe Macrotomini

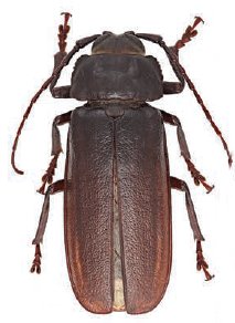
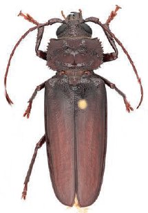
Genus Eurynassa


Eurynassa
australis


Eurynassa
servillei


Eurynassa
stigmosa


Eurynassa
tuberculicollis

130503