New Search
Family, Subfamily and Tribe List
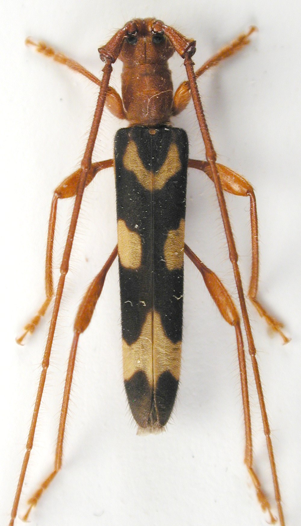
Family
Cerambycinae
SubFamily
Cerambycinae
Tribe
Oemini
Genus
Entetraommatus
Entetraommatus
christinae
Entetraommatus
imbecillus
Entetraommatus
quercicola
Entetraommatus
trifasciatus
130503