New Search
Family, Subfamily and Tribe List
Family
Prioninae
SubFamily
Prioninae
Tribe
Anacolini
Genus
Drumontiana
Drumontiana
amplipennis
Drumontiana
costata
Drumontiana
dentata
Drumontiana
francottei
Drumontiana
lacordairei
Drumontiana
nakamurai
Drumontiana
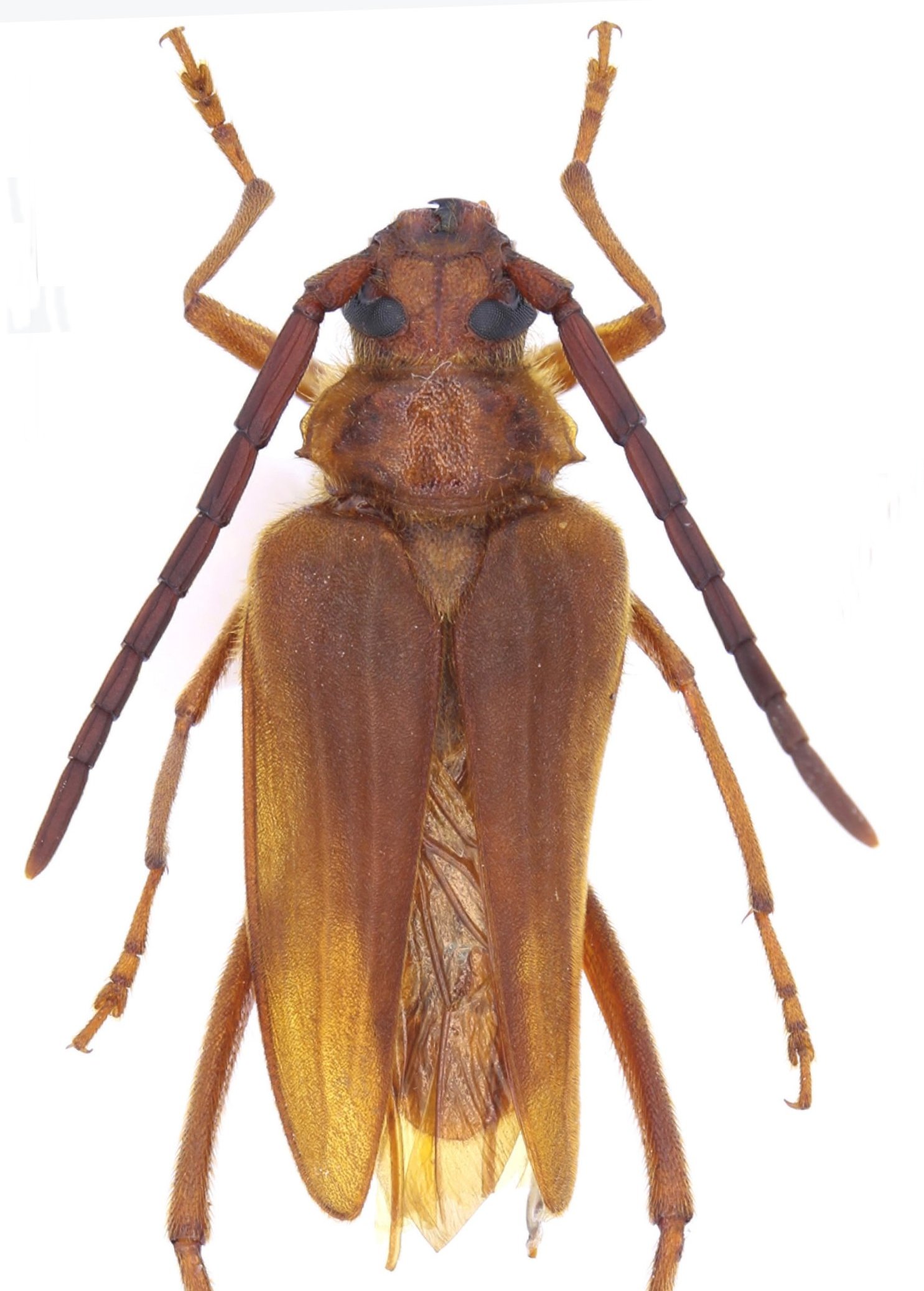
nomurai
nomurai
Drumontiana
nomurai
bachmanus
Drumontiana
zhiklini
130503