New Search
Family, Subfamily and Tribe List
Family
Lamiinae
SubFamily
Lamiinae
Tribe
Apomecynini
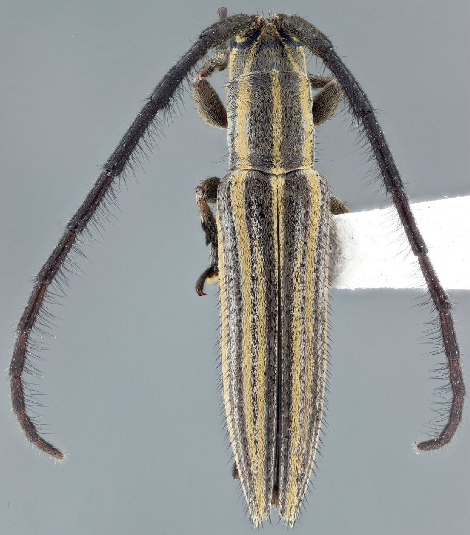
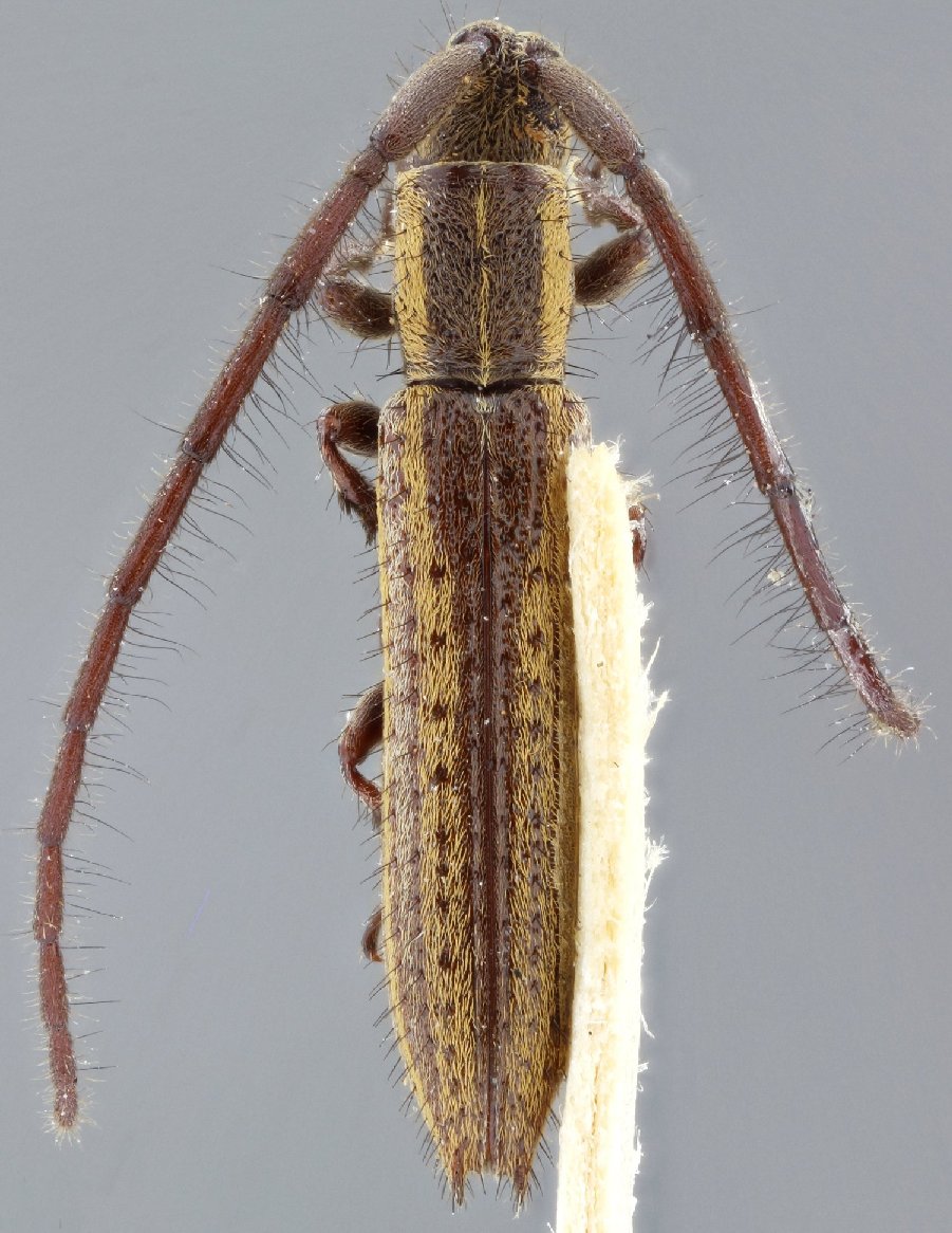
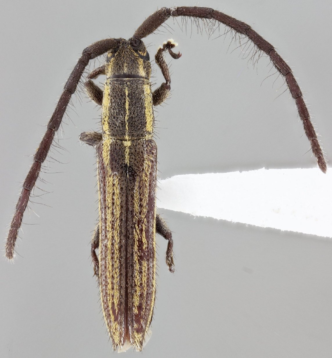
Genus
Dorcasta
Dorcasta
birai
Dorcasta
borealis
Dorcasta
cinerea
Dorcasta
crassicornis
Dorcasta
dasycera
Dorcasta
implicata
Dorcasta
parkeri
Dorcasta
quadrispinosa
Dorcasta
rifkindi
Dorcasta
rorotaensis
Dorcasta
singularis
130503