New Search
Family, Subfamily and Tribe List
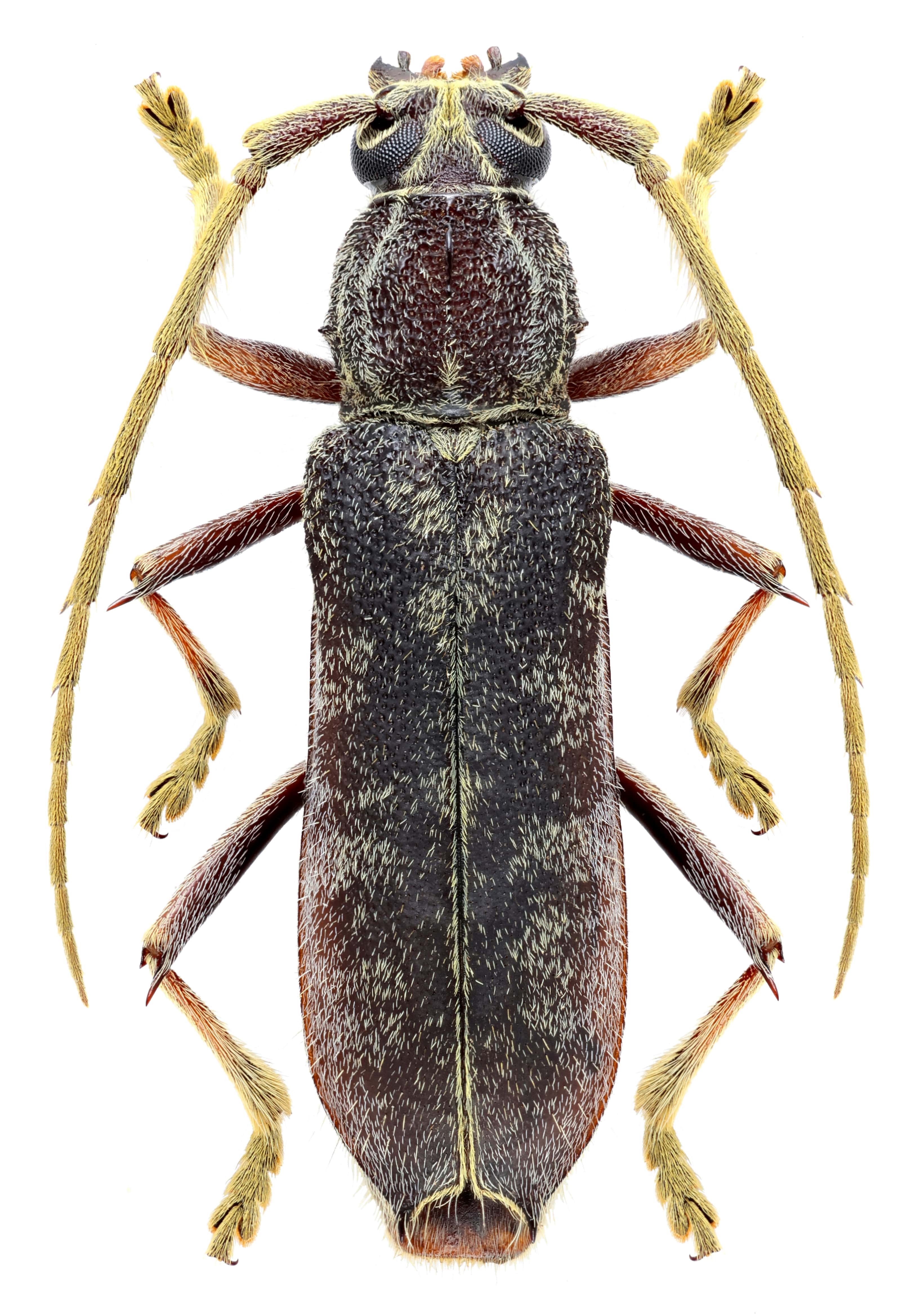
Family
Cerambycinae
SubFamily
Cerambycinae
Tribe
Bothriospilini
Genus
Delemodacrys
Delemodacrys
mourei
130503