New Search Family, Subfamily and Tribe List
new world both worldsboth worlds old world
Family Cerambycinae
SubFamily Cerambycinae
Tribe Rhinotragini

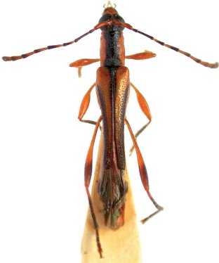
Genus Clepitoides


Clepitoides
anae


Clepitoides
crocata


Clepitoides
gerardi


Clepitoides
neei


Clepitoides
pallidicornis


Clepitoides
picturata


Clepitoides
thomasi


Clepitoides
virgata

130503