New Search Family, Subfamily and Tribe List
new world both worldsboth worlds old world
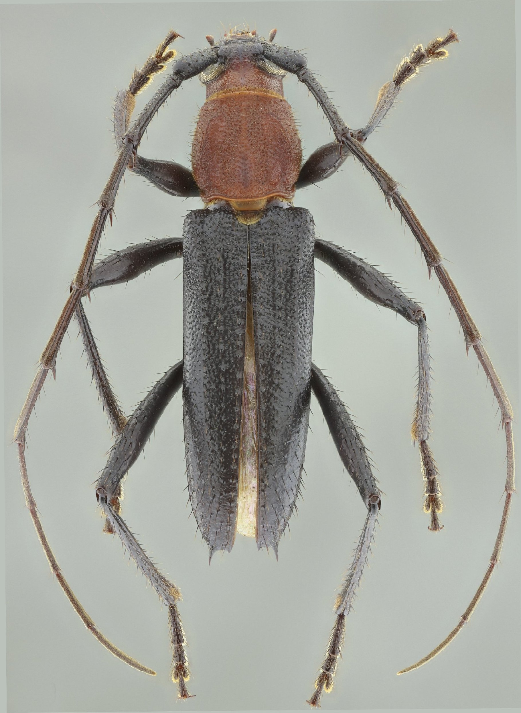
Family Cerambycinae
SubFamily Cerambycinae
Tribe Elaphidiini

Genus Clausirion


Clausirion
bicolor


Clausirion
comptum

130503