New Search Family, Subfamily and Tribe List
new world both worldsboth worlds old world
Family Cerambycinae
SubFamily Cerambycinae
Tribe Graciliini

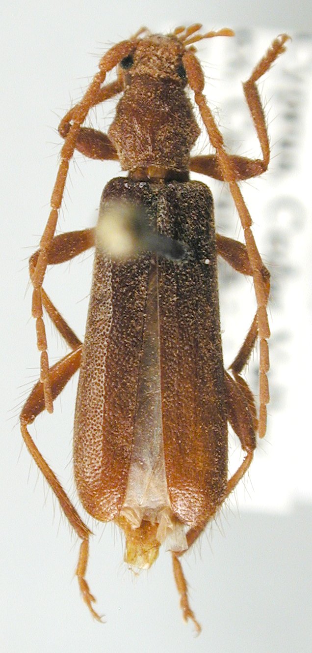
Genus Axinopalpis

Axinopalpis
alberti
 

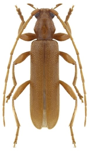
Axinopalpis
barbarae
barbarae


Axinopalpis
barbarae
consobrinus


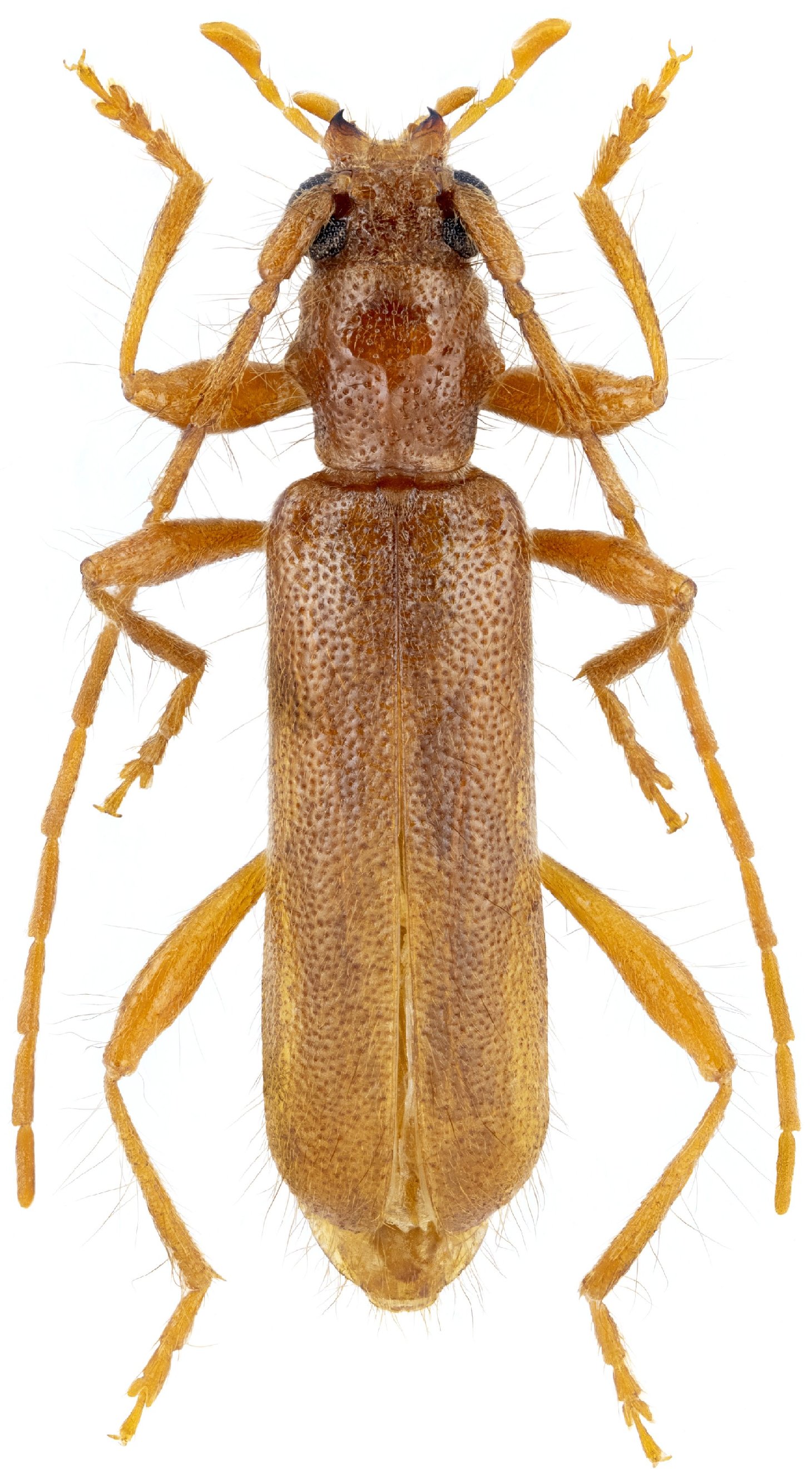
Axinopalpis
gracilis
christinae


Axinopalpis
gracilis
gracilis

130503