New Search
Family, Subfamily and Tribe List
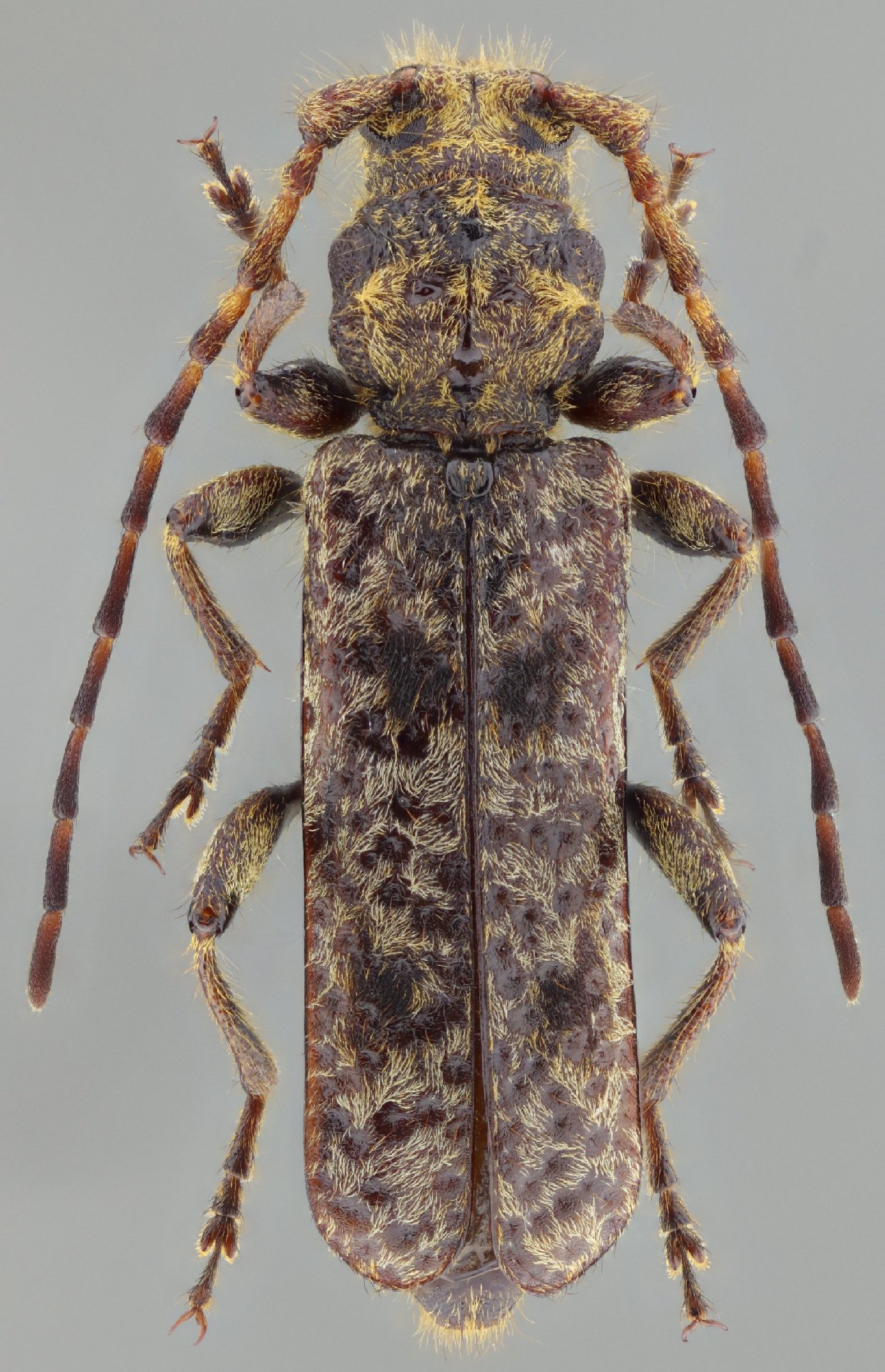
Family
Cerambycinae
SubFamily
Cerambycinae
Tribe
Necydalopsini
Genus
Altitudarium
Altitudarium
andinum
130503