New Search Family, Subfamily and Tribe List
new world both worldsboth worlds old world
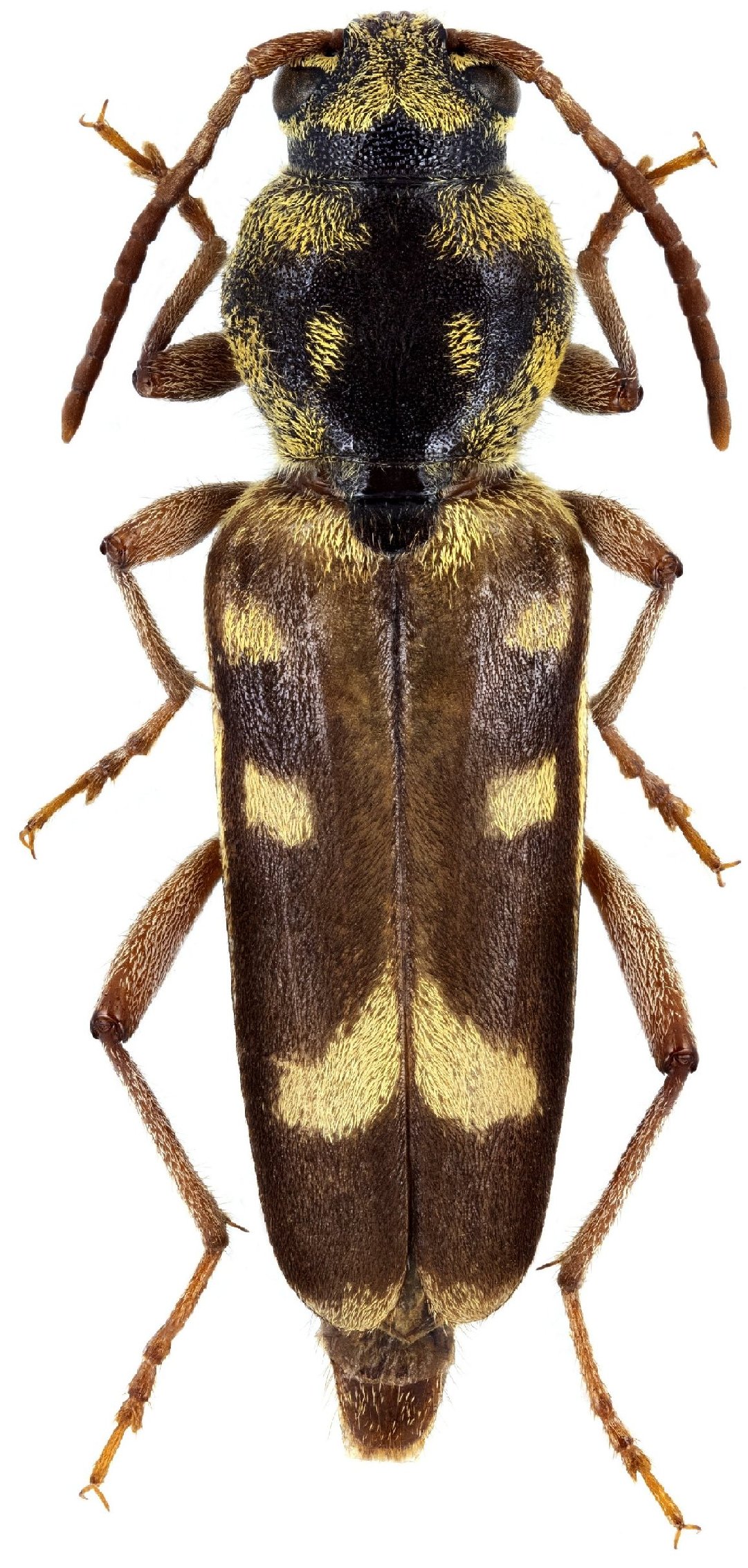
Family Cerambycinae
SubFamily Cerambycinae
Tribe Clytini

Genus Turanoclytus


Turanoclytus
asellus


Turanoclytus
ilamensis
campadellii


Turanoclytus
ilamensis
ilamensis

Turanoclytus
ilamensis
hadullai 
Turanoclytus
ilamensis
magnanii 
Turanoclytus
ilamensis
ozdikmeni 
Turanoclytus
ilamensis
zuvandiense 

Turanoclytus
namanganensis


Turanoclytus
raghidae


Turanoclytus
sieversi
sieversi

Turanoclytus
sieversi
deyrollei 
Turanoclytus
sieversi
baiocchii 
130503