New Search Family, Subfamily and Tribe List
new world both worldsboth worlds old world
Family Cerambycinae
SubFamily Cerambycinae
Tribe Obriini

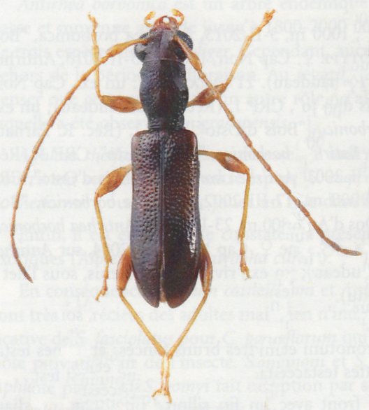
Genus Spathuliger

Spathuliger
antelmei
 
Spathuliger
cariei
 

Spathuliger
continentalis


Spathuliger
coquereli

Spathuliger
decoratus
 
Spathuliger
ebeninus
 
Spathuliger
emmerezi
 

Spathuliger
fasciolatus

Spathuliger
glabricollis
 

Spathuliger
gomyi


Spathuliger
hamoni

Spathuliger
maculicollis
 
Spathuliger
mameti
 

Spathuliger
nigracapensis


Spathuliger
nitidicolle


Spathuliger
ornatus

Spathuliger
rodriguezensis
 
Spathuliger
vicinus
 
130503