New Search Family, Subfamily and Tribe List
new world both worldsboth worlds old world
Family Cerambycinae
SubFamily Cerambycinae
Tribe Clytini

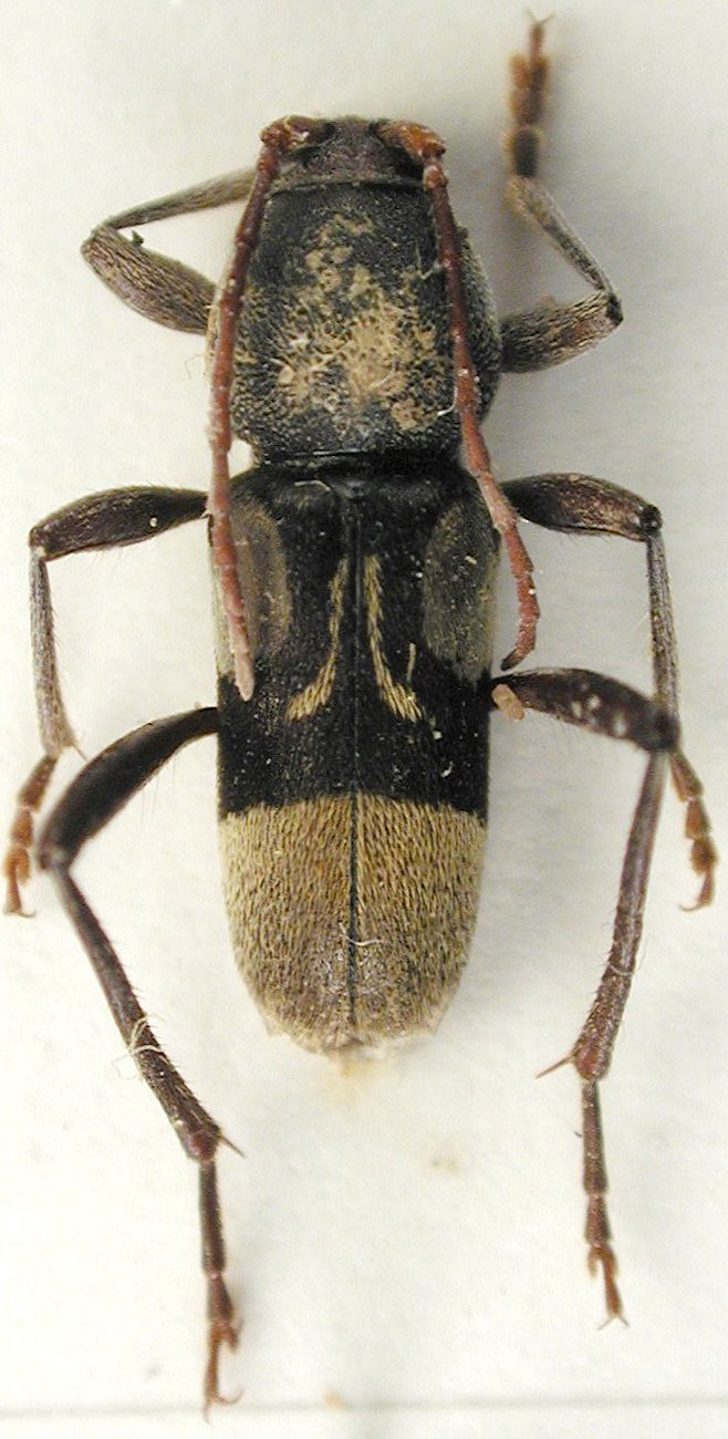
Genus Plagionotulus


Plagionotulus
dimidiatus


Plagionotulus
dubius


Plagionotulus
pseudancora


Plagionotulus
senegalensis


Plagionotulus
sylvaticus


Plagionotulus
victoriensis


Plagionotulus
westringii


Plagionotulus
zimbabweanus

130503