New Search Family, Subfamily and Tribe List
new world both worldsboth worlds old world
Family Cerambycinae
SubFamily Cerambycinae
Tribe Trachyderini Trachyderina

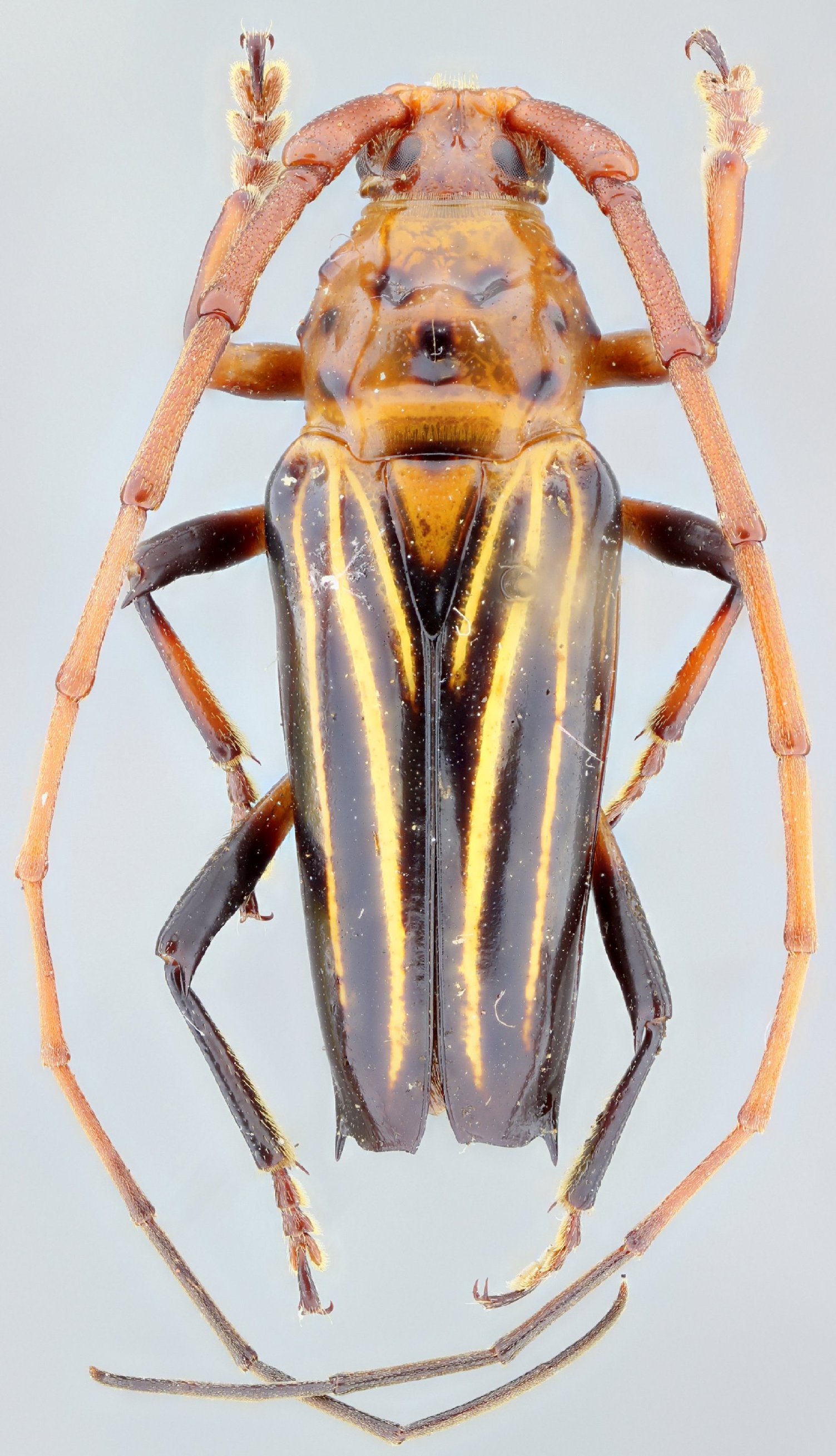
Genus Oxymerus


Oxymerus
aculeatus
aculeatus


Oxymerus
aculeatus
lebasi


Oxymerus
aculeatus
meridionalis


Oxymerus
basalis


Oxymerus
bruchi
bruchi


Oxymerus
bruchi
seabrai


Oxymerus
chevrolatii


Oxymerus
flavescens
flavescens


Oxymerus
flavescens
abdominalis


Oxymerus
flavescens
australis


Oxymerus
flavescens
nigriventris


Oxymerus
flavescens
occidentalis


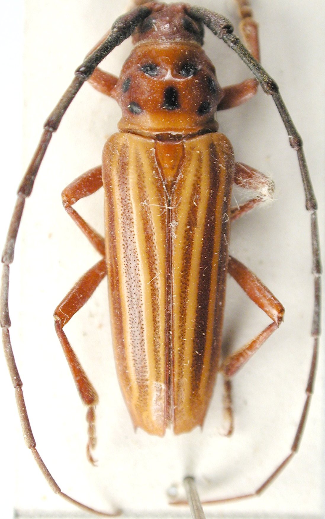
Oxymerus
lineatus
lineatus


Oxymerus
pallidus


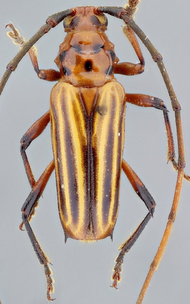
Oxymerus
punctatus


Oxymerus
vianai


Oxymerus
virgatus

130503