New Search Family, Subfamily and Tribe List
new world both worldsboth worlds old world
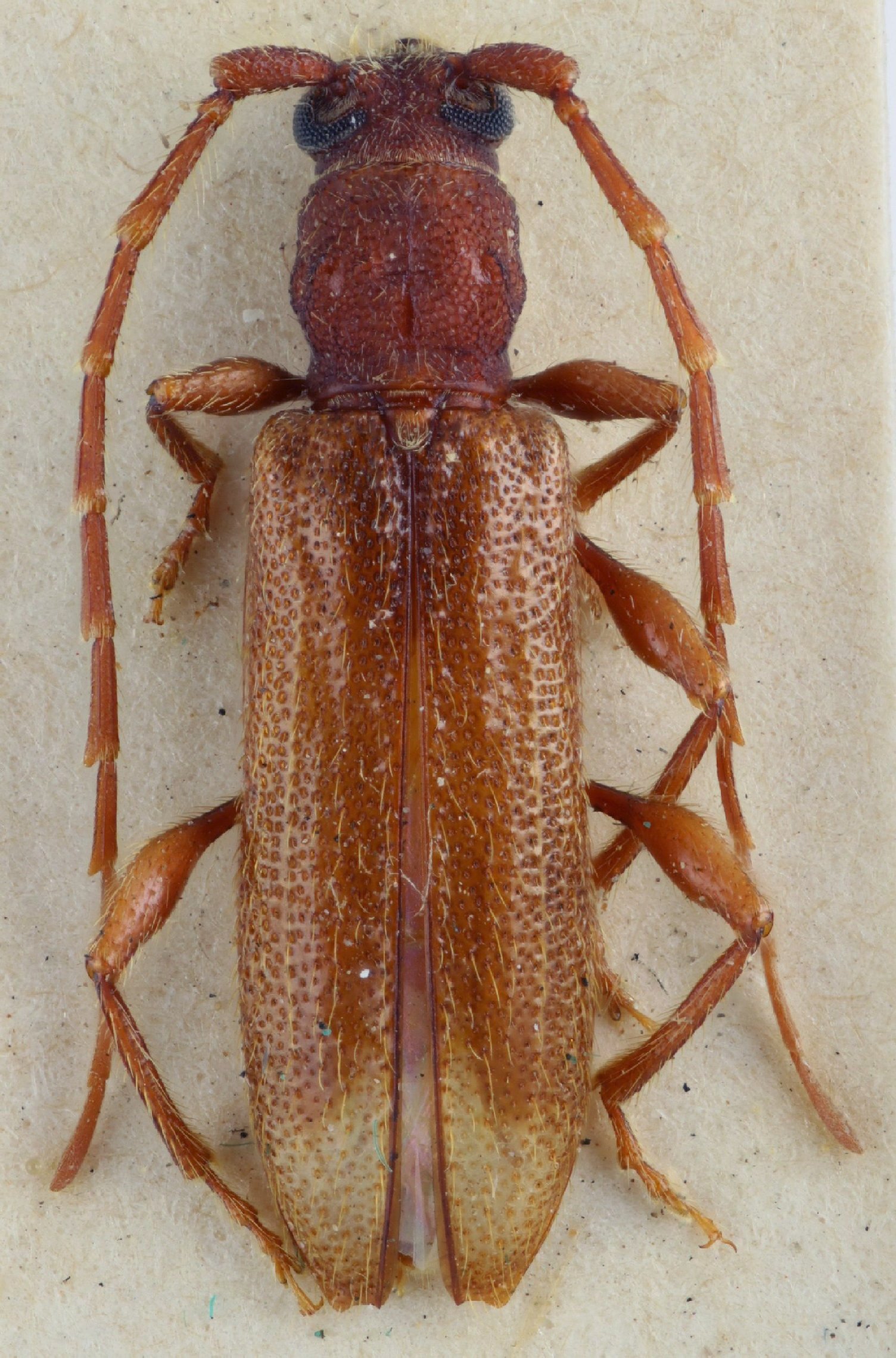
Family Cerambycinae
SubFamily Cerambycinae
Tribe Piezocerini Piezocerina

Genus Migmocera


Migmocera
flavicauda

130503