New Search Family, Subfamily and Tribe List
new world both worldsboth worlds old world
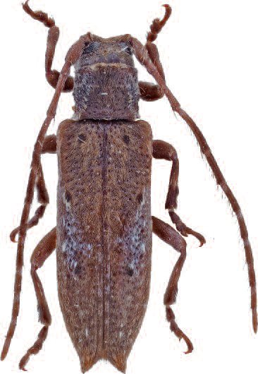
Family Lamiinae
SubFamily Lamiinae
Tribe Xylorhizini

Genus Microxylorhiza


Microxylorhiza
matsudai

130503