New Search Family, Subfamily and Tribe List
new world both worldsboth worlds old world
Family Cerambycinae
SubFamily Cerambycinae
Tribe Trachyderini Trachyderina

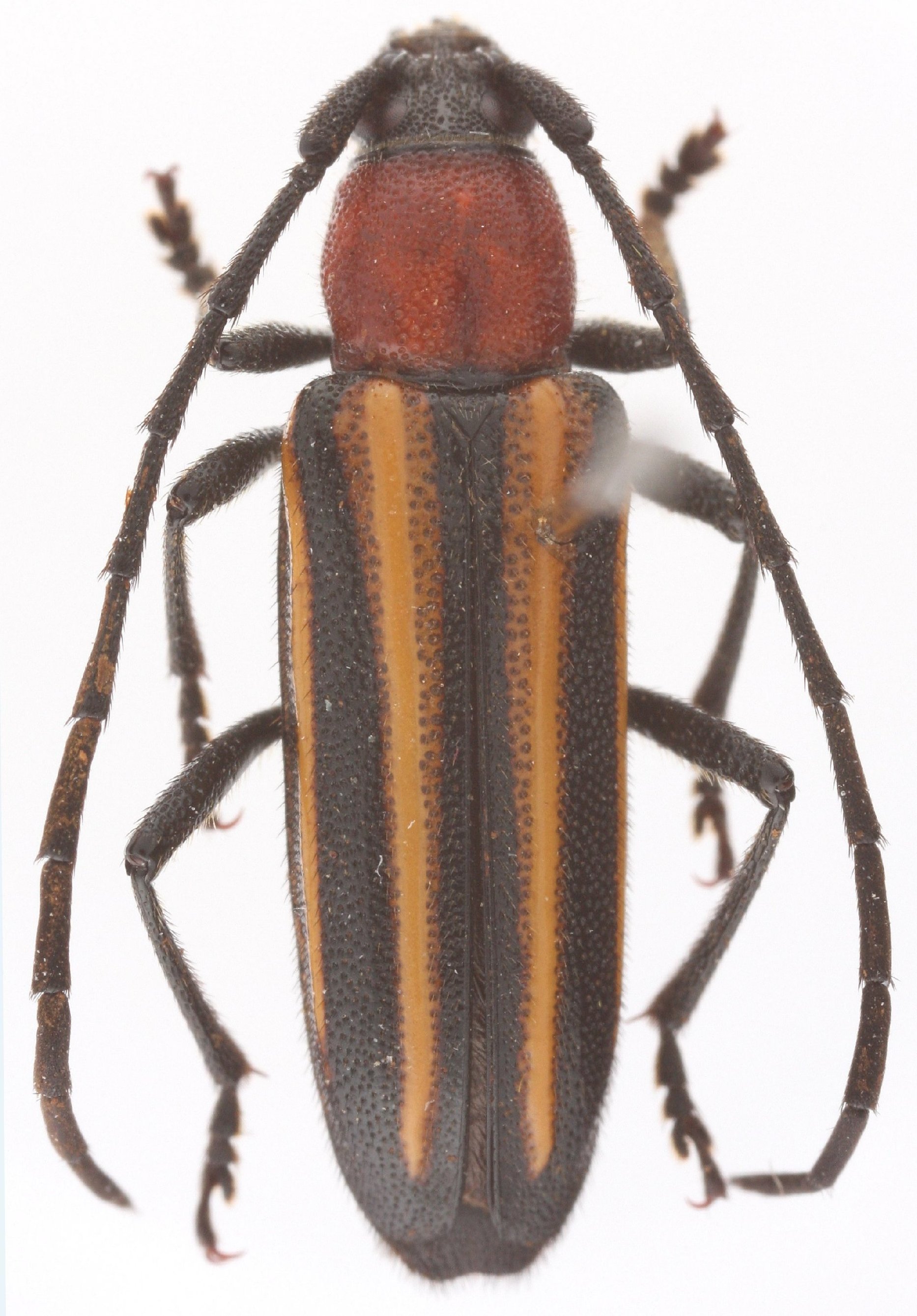
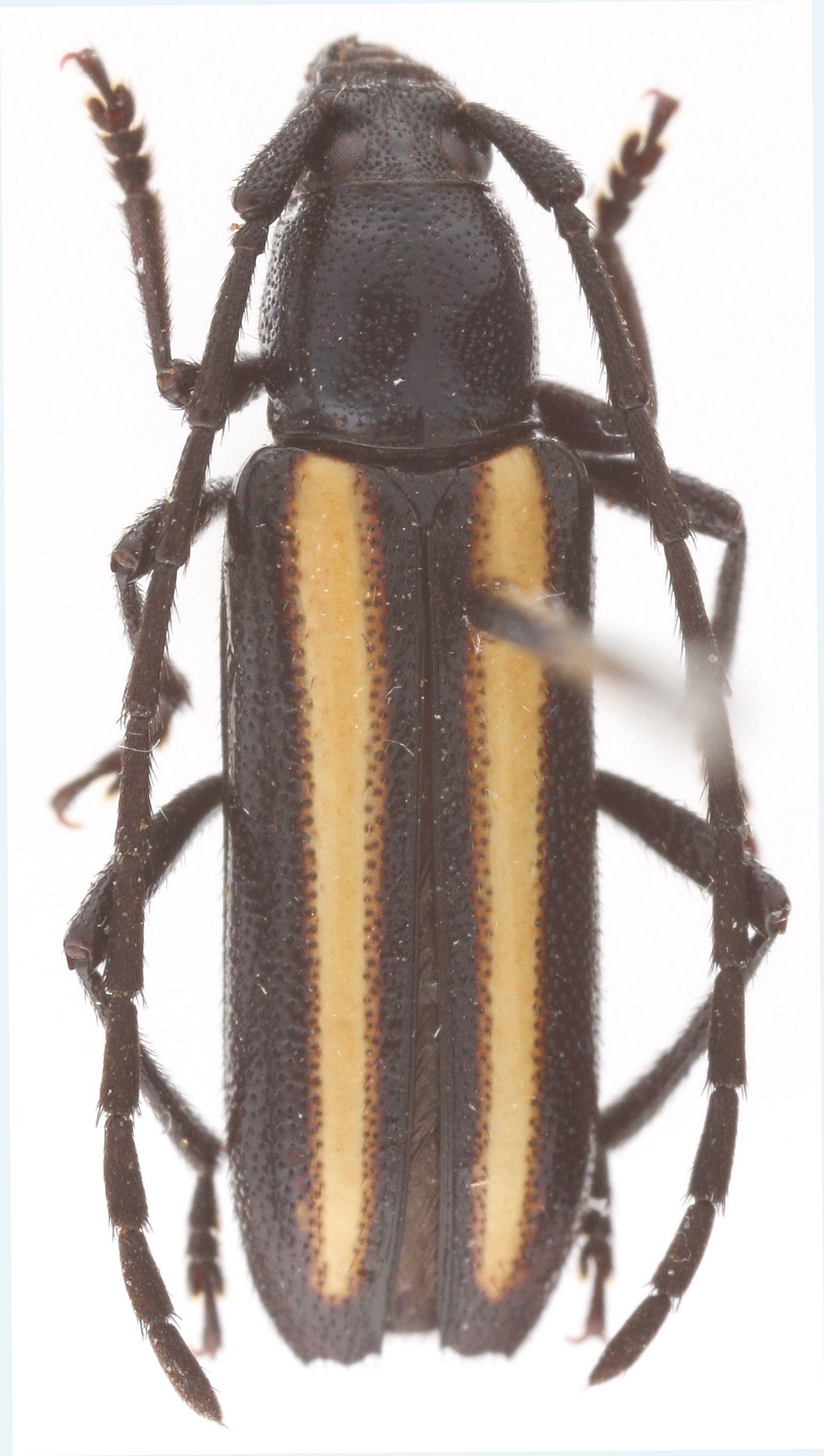
Genus Microteroschema


Microteroschema
parvum


Microteroschema
pseudolaetum

130503