New Search
Family, Subfamily and Tribe List
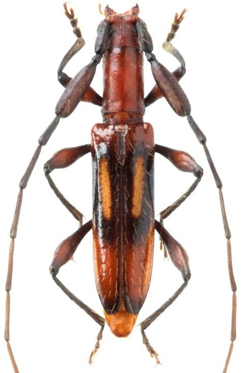
Family
Cerambycinae
SubFamily
Cerambycinae
Tribe
Tropidini Neoibidionina
Genus
Megaceron
Megaceron
antennicrasum
Megaceron
australe
130503