New Search Family, Subfamily and Tribe List
new world both worldsboth worlds old world
Family Cerambycinae
SubFamily Cerambycinae
Tribe Cerambycini

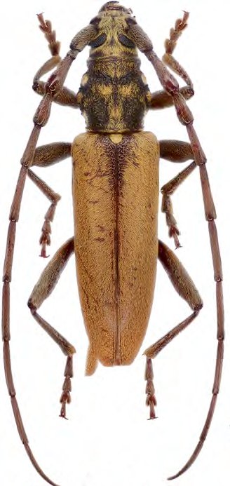
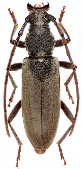
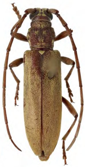
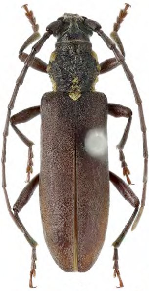
Genus Margites


Margites
alutaceus


Margites
argenteus


Margites
aspericollis


Margites
auratonotatus


Margites
deroliformis


Margites
egenus

Margites
exiguus
 

Margites
ferrugineus


Margites
fulvidus


Margites
grisescens


Margites
lajoyei


Margites
lobanovi


Margites
luteopubens


Margites
minutulus


Margites
modicus


Margites
mucidus


Margites
mussardi


Margites
prothemicollis


Margites
pumilus

Margites
sulcifrons
 
130503