New Search
Family, Subfamily and Tribe List
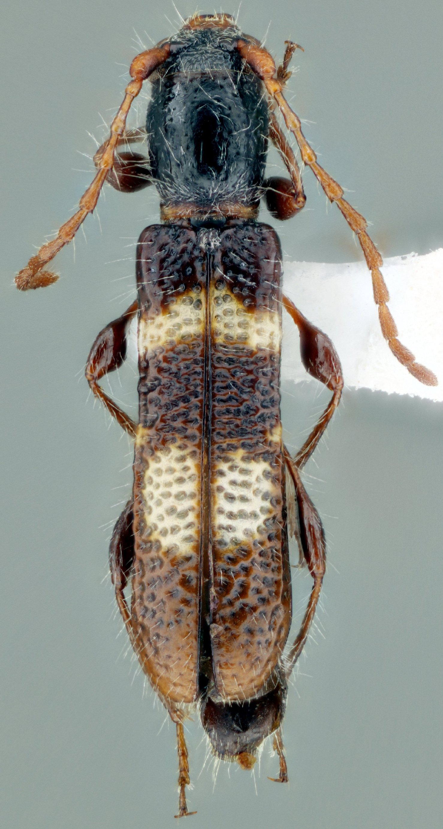
Family
Cerambycinae
SubFamily
Cerambycinae
Tribe
Elaphidiini
Genus
Lingafelterellus
Lingafelterellus
barclayi
Lingafelterellus
birai
Lingafelterellus
clarkei
130503