New Search Family, Subfamily and Tribe List
new world both worldsboth worlds old world
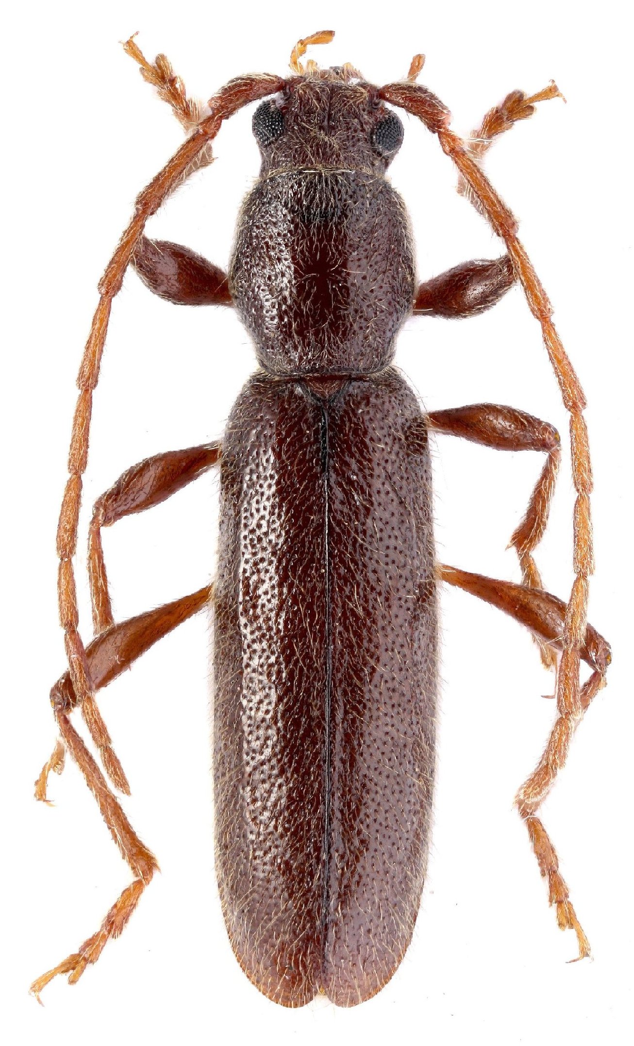
Family Cerambycinae
SubFamily Cerambycinae
Tribe Graciliini

Genus Hybometopia

Hybometopia
starcki
ivani 

Hybometopia
starcki
starcki

130503