New Search Family, Subfamily and Tribe List
new world both worldsboth worlds old world
Family Lamiinae
SubFamily Lamiinae
Tribe Homonoeini

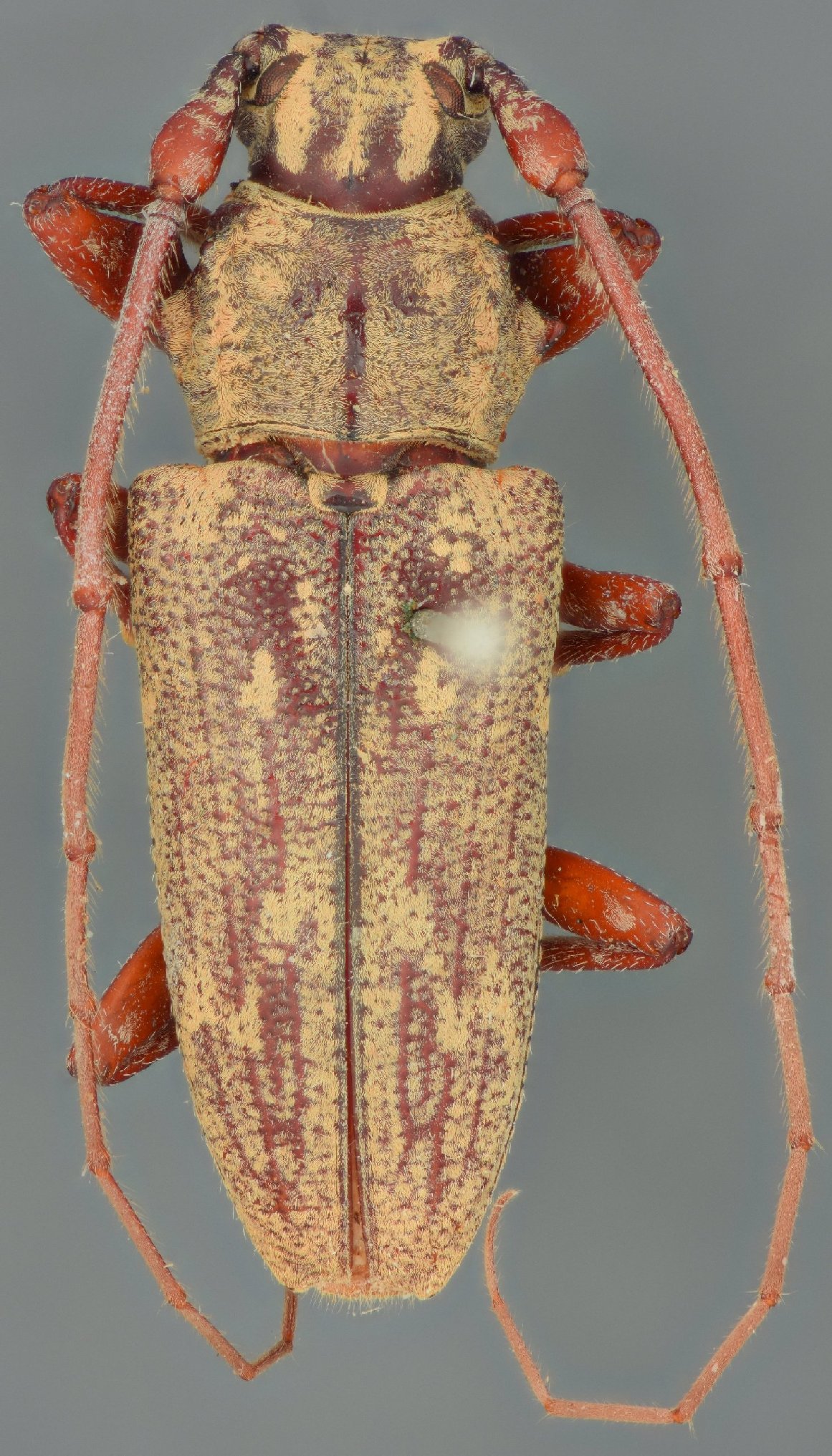
Genus Heteroclytomorpha


Heteroclytomorpha
inaequalis

Heteroclytomorpha
punctata
 

Heteroclytomorpha
quadrinotata

Heteroclytomorpha
sexplagiata
obscura 

Heteroclytomorpha
sexplagiata
sexplagiata

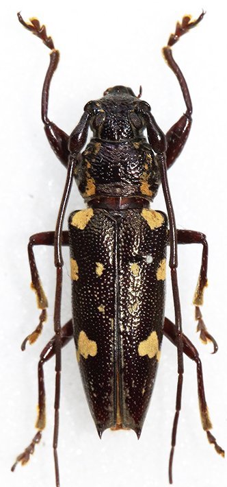
Heteroclytomorpha
singularis
 
Heteroclytomorpha
sormeoides
websteri 
Heteroclytomorpha
sormeoides
ammiralis 
Heteroclytomorpha
sormeoides
salomonum 

Heteroclytomorpha
sormeoides
sormeoides

130503