New Search Family, Subfamily and Tribe List
new world both worldsboth worlds old world
Family Lamiinae
SubFamily Lamiinae
Tribe Acanthocinini

Genus Acanthocinus


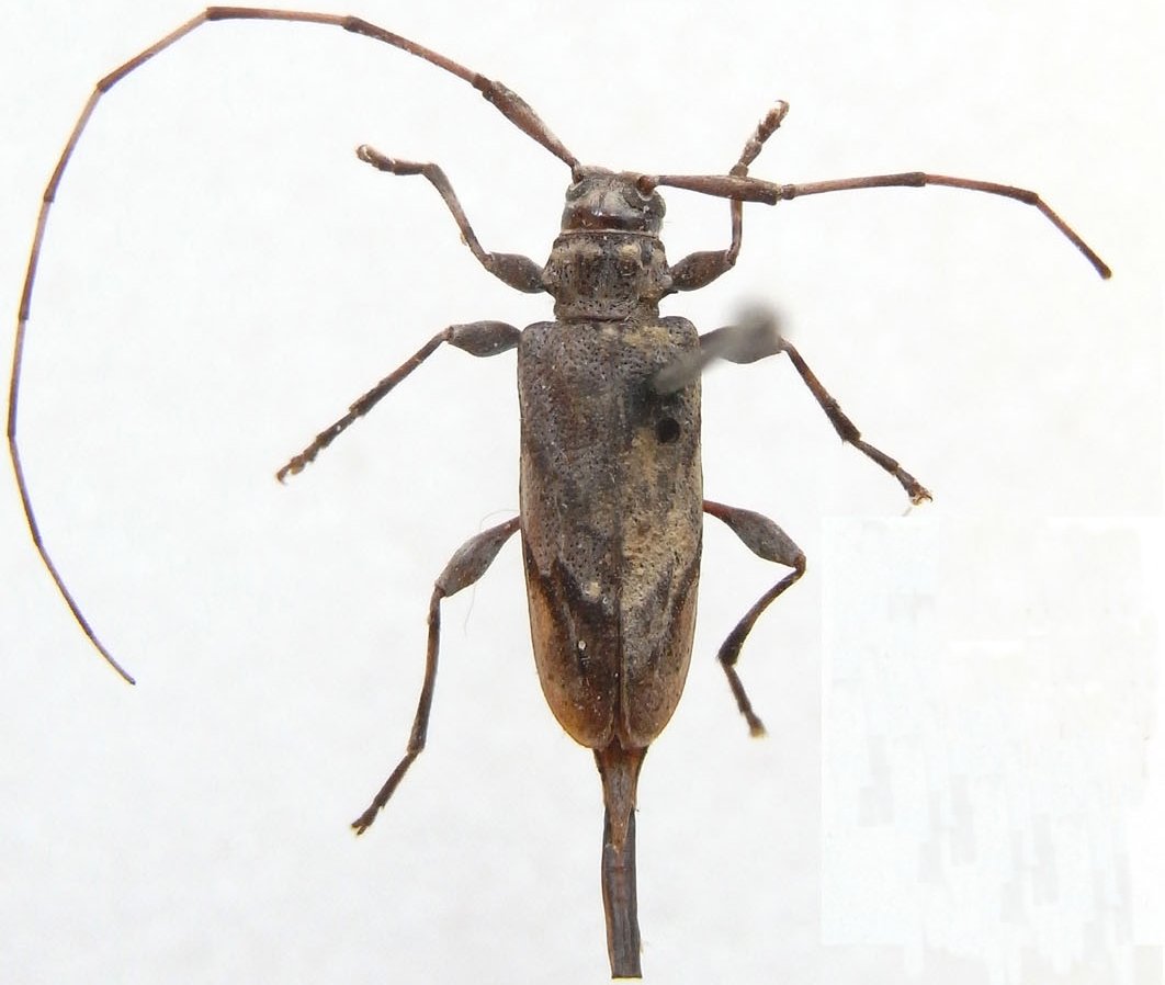
Acanthocinus
aedilis


Acanthocinus
annamensis


Acanthocinus
carinulatus

Acanthocinus
chinensis
 

Acanthocinus
elegans


Acanthocinus
griseus


Acanthocinus
gundaiensis


Acanthocinus
guttatus


Acanthocinus
henschi
henschi

Acanthocinus
henschi
aetnensis 

Acanthocinus
hispanicus

Acanthocinus
hutacharerae
 
Acanthocinus
meyeri
 
Acanthocinus
orientalis
 

Acanthocinus
reticulatus

Acanthocinus
sachalinensis
 

Acanthocinus
sinensis

Acanthocinus
subsolana
 
Acanthocinus
tethys
 

Acanthocinus
xanthoneurus

130503