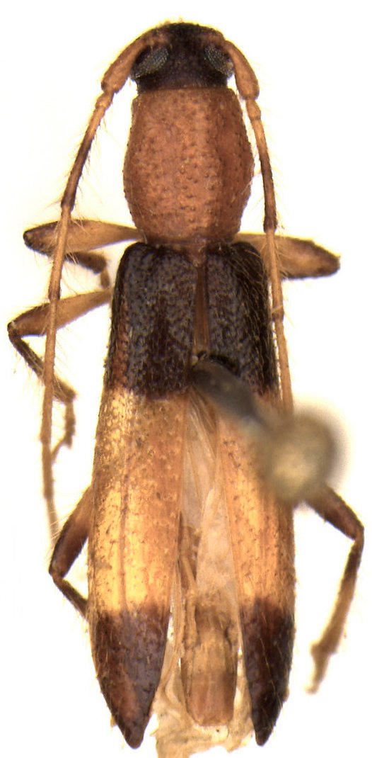
_Martins_MNRJ_SWL.jpg)
Specimen Type: holotype Sex: f Institution: MNRJ Museu Nacional Universidade do Rio Janeiro, Brazil Photographer: Steve Lingafelter Collection Location: Sinop, Mato Grosso, Brazil 10905
|
 Martins Porto Velho, Rondonia, Brazil Marcela.jpg)
Sex: f Photographer: Marcela Monne Collection Location: Porto Velho, Rondonia, Brazil 79332
|