_Lane_Nearns.jpg)
Specimen Type: holotype Sex: f Institution: BMNH British Museum Natural History, London, UK Photographer: Gino Nearns Collection Location: French Guiana 42579
|
 Lane BMNH Cayenne, French Guiana Moure.jpg)
Specimen Type: holotype Sex: f Institution: BMNH British Museum Natural History, London, UK Photographer: JS Moure Collection Location: Cayenne, French Guiana 102054
|
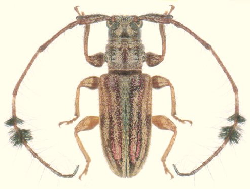
_Fuchs_HS_=_cicatricosa.jpg)
Taurolema lineata Fuchs Specimen Type: holotype Sex: f Institution: HS Herbert Schmid Collection, Vienna, Austria Photographer: Herbert Schmid Collection Location: Mato Grosso, Brazil 26628
|

Photographer: Frédéric Robin Collection Location: Rorota, Remire-Montjoly, French Guiana 29380
|
_Lane_MNRJ_Iheringia.jpg)
Sex: m Institution: MNRJ Museu Nacional Universidade do Rio Janeiro, Brazil 25259
|

25262
|
|