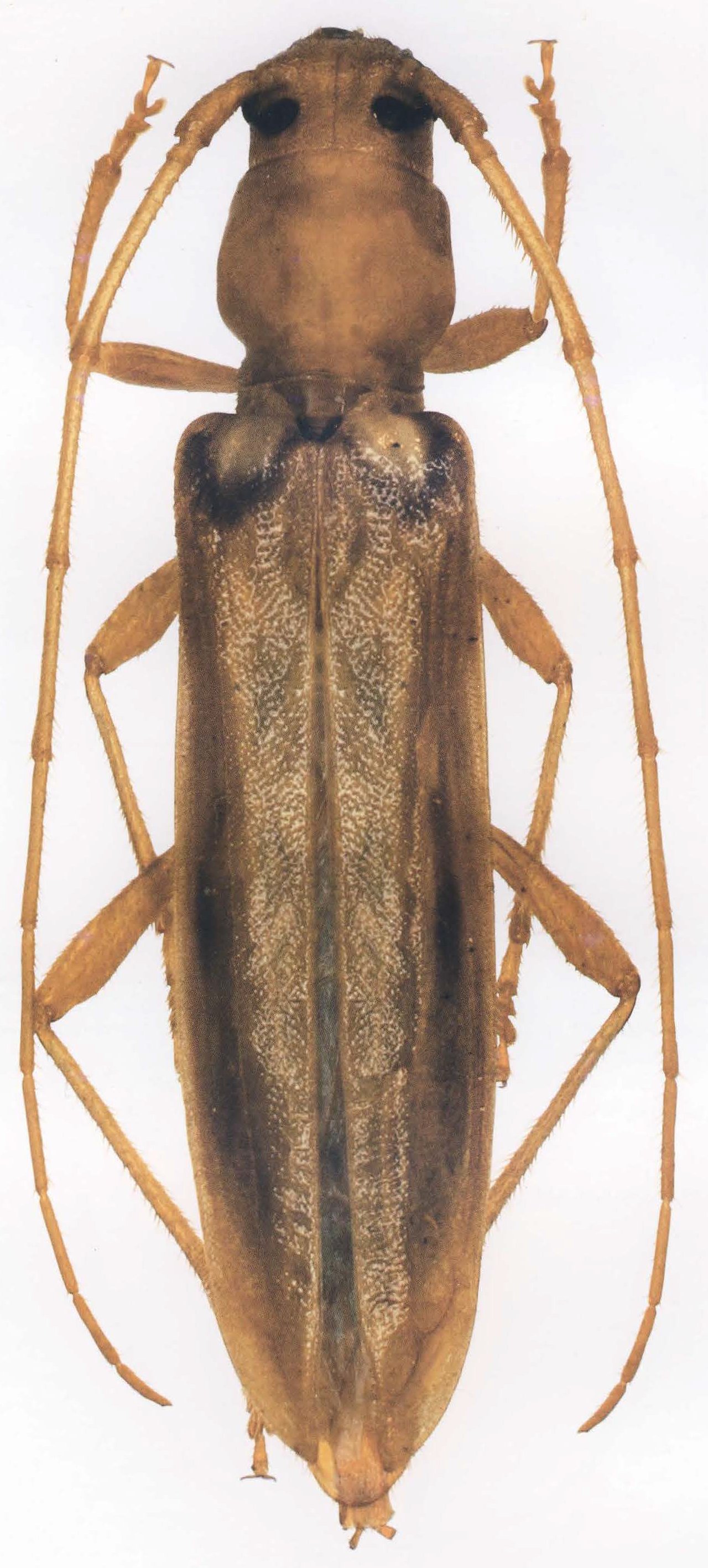
_Buquet_MNHN_JAC_=_Neoeme_pallida.jpg)
Oeme pallida Buquet Specimen Type: holotype Sex: m Institution: MNHN Museum of Natural History Paris, France Photographer: John Chemsak Collection Location: Brazil 17717
|
 (Buquet) MZSP Santa Teresa, Espírito Santo, Brazil SS.jpg)
Sex: f Institution: MZSP Museu de Zoologia da Universidade de São Paulo, Brazil Photographer: Antonio Santos-Silva Collection Location: Santa Teresa, Espírito Santo, Brazil 90515
|