_(Breuning)_MZSP_Le_Diamant_Martinique_SS.jpg)
Sex: m Institution: MZSP Museu de Zoologia da Universidade de São Paulo, Brazil Photographer: Antonio Santos-Silva Collection Location: Le Diamant, Martinique 63839
|
_(Breuning)_MZSP_Le_Diamant_Martinique_SS.jpg)
Sex: m Institution: MZSP Museu de Zoologia da Universidade de São Paulo, Brazil Photographer: Antonio Santos-Silva Collection Location: Le Diamant, Martinique 63840
|
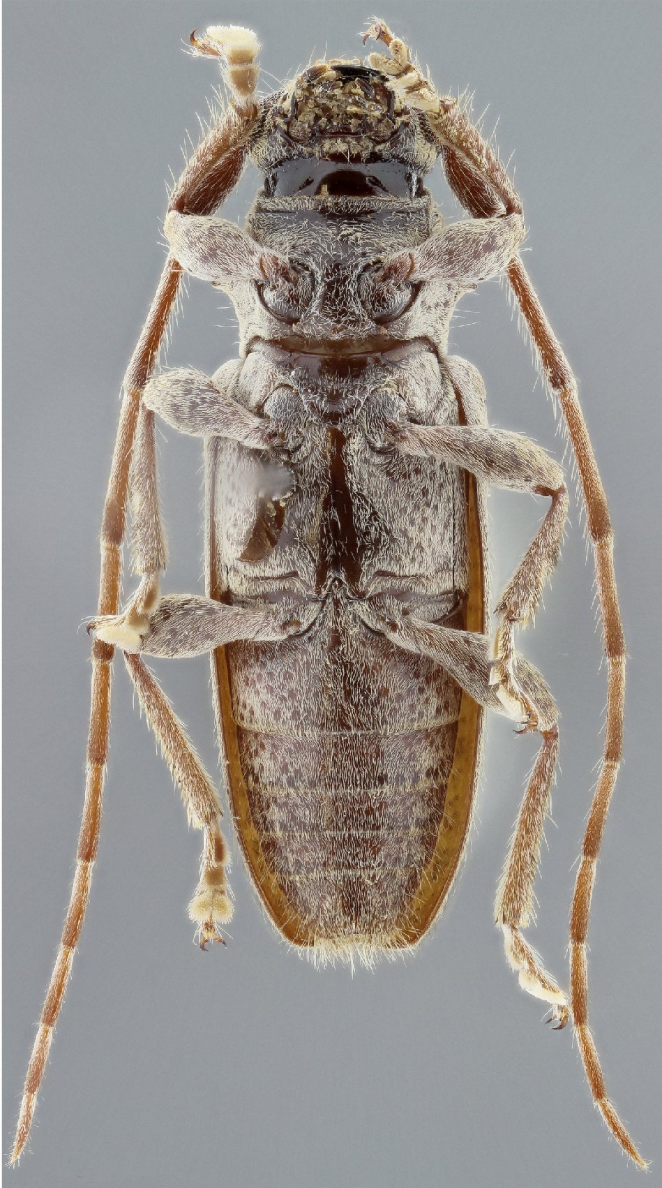
_(Breuning)_MZSP_Le_Diamant_Martinique_SS.jpg)
Sex: m Institution: MZSP Museu de Zoologia da Universidade de São Paulo, Brazil Photographer: Antonio Santos-Silva Collection Location: Le Diamant, Martinique 63841
|
_Breuning_St_Lucie_Touroult_photo.jpg)
Sex: f Photographer: Julien Touroult Collection Location: St Lucie 23017
|
_Breuning_Guadeloupe_Touroult_photo.jpg)
Sex: m Photographer: Julien Touroult Collection Location: Guadeloupe 23018
|

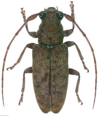
Institution: CAS California Academy of Sciences, San Francisco, CA, USA Photographer: Larry G. Bezark Determiner: Turnbow 10043
|