_Galileo_Martins_MZSP_Itapira_Sao_Paolo_Brazil_Nasc.jpg)
Specimen Type: holotype Sex: m Institution: MZSP Museu de Zoologia da Universidade de São Paulo, Brazil Photographer: Francisco Nascimento Collection Location: Itapira, Sao Paolo, Brazil 72135
|
_Galileo_Martins_MZSP_Itapira_Sao_Paolo_Brazil_Nasc.jpg)
Specimen Type: holotype Sex: m Institution: MZSP Museu de Zoologia da Universidade de São Paulo, Brazil Photographer: Francisco Nascimento Collection Location: Itapira, Sao Paolo, Brazil 72136
|
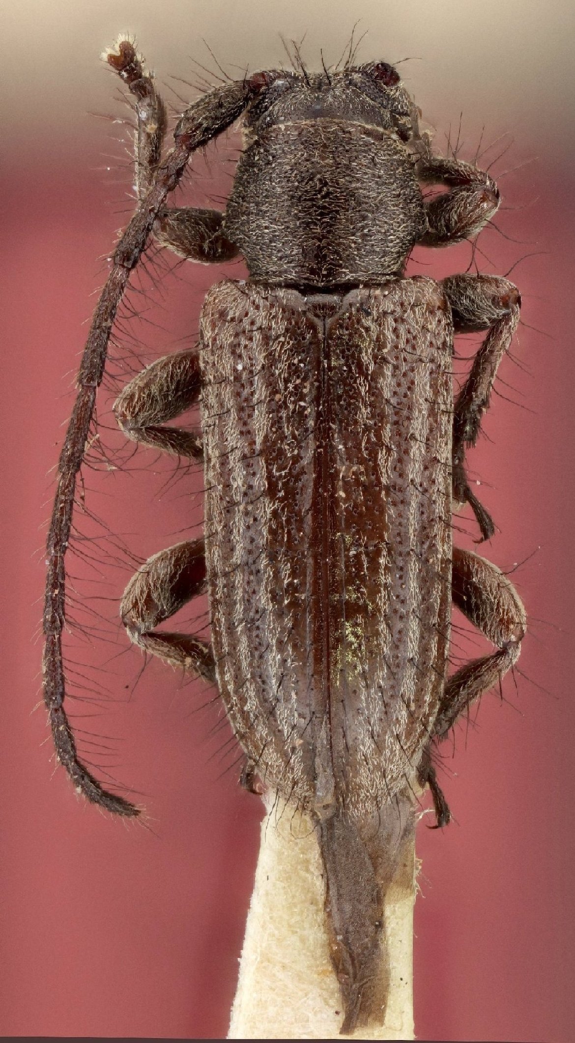
_Galileo_Martins_MZSP_Itapira_Sao_Paolo_Brazil_Nasc.jpg)
Specimen Type: holotype Sex: m Institution: MZSP Museu de Zoologia da Universidade de São Paulo, Brazil Photographer: Francisco Nascimento Collection Location: Itapira, Sao Paolo, Brazil 72137
|
_Galileo_Martins_MZSP_Itapira_Sao_Paolo_Brazil_Nasc.jpg)
Specimen Type: holotype Sex: m Institution: MZSP Museu de Zoologia da Universidade de São Paulo, Brazil Photographer: Francisco Nascimento Collection Location: Itapira, Sao Paolo, Brazil 72138
|

Institution: LGBC Larry G. Bezark Collection, Sacramento, California, USA Photographer: Larry G. Bezark Collection Location: Chacurru Ecotourism, Amambay, Paraguay 69700
|
_Galileo_and_Martins_Clarke.jpg)
Sex: m 24328
|
|