_Chemsak_and_Linsley_MNHN_JAC.jpg)
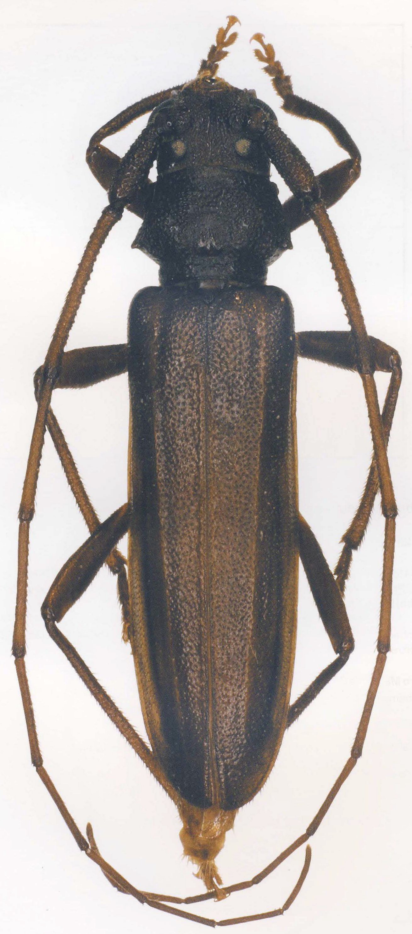
Specimen Type: holotype Sex: m Institution: MNHN Museum of Natural History Paris, France Photographer: John Chemsak Collection Location: Condeúba (autrefois Santo Antonio de Barra), Bahia, Brazil 17270
|

Determiner: S American Cerambycidae Supplement 1 55593
|