_Melzer_Costa_Rica_USNM_SWL.jpg)
Specimen Type: holotype Institution: NMNH United States National Museum, Washington, DC, USA Photographer: Steve Lingafelter Collection Location: Costa Rica 7791
|
_Melzer_NMNH_JAC.jpg)
Specimen Type: holotype Institution: NMNH United States National Museum, Washington, DC, USA Photographer: John Chemsak 16588
|
 Melzer MZSP SS Rio Reventazon, Hamburg Farm, Limon, Costa Rica SS.jpg)
Specimen Type: paratype Sex: m Institution: MZSP Museu de Zoologia da Universidade de São Paulo, Brazil Photographer: Antonio Santos-Silva Collection Location: Rio Reventazon, Hamburg Farm, Limon, Costa Rica 7792
|

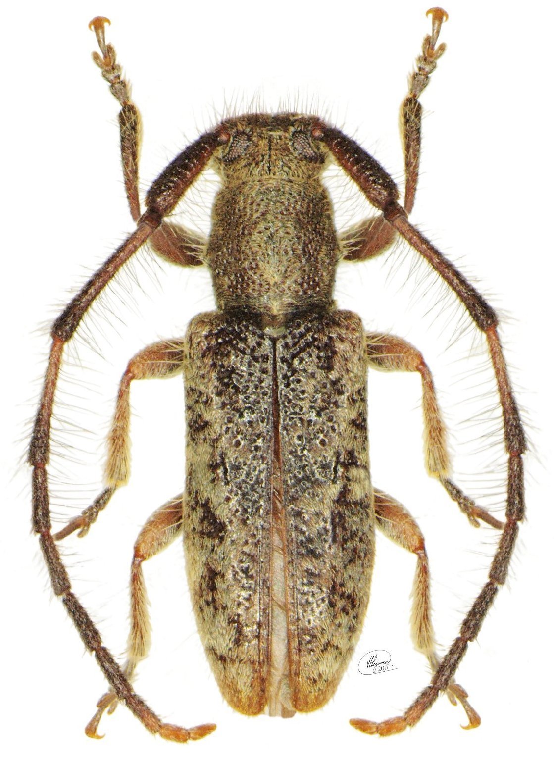
Institution: University of Costa Rica Photographer: Humberto Lezama Collection Location: Colonia Libertad, Upala, Costa Rica 25885
|
|