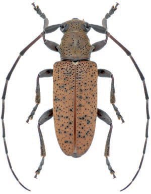
_Br_NHMB_Turrialba_Cartago_CR_Isabelle_Zurcher-Pfander.jpg)
Specimen Type: holotype Sex: f Institution: NHMB Naturhistorisches Museum, Basel, Switzerland Photographer: Isabelle Zurcher-Pfander Collection Location: Turrialba, Cartago, Costa Rica 63889
|
_Br_NHMB_Turrialba_Cartago_CR_Isabelle_ZP.jpg)
Specimen Type: holotype Sex: f Institution: NHMB Naturhistorisches Museum, Basel, Switzerland Photographer: Isabelle Zurcher-Pfander Collection Location: Turrialba, Cartago, Costa Rica 63890
|
_Br_NHMB_Turrialba_Cartago_CR_Isabelle_ZP.jpg)
Specimen Type: holotype Sex: f Institution: NHMB Naturhistorisches Museum, Basel, Switzerland Photographer: Isabelle Zurcher-Pfander Collection Location: Turrialba, Cartago, Costa Rica 63891
|

Photographer: JP Roguet, https://lamiinae.org Collection Location: Nicaragua 68057
|

Photographer: Larry G. Bezark Determiner: Martins Collection Location: San Jose, Costa Rica 24629
|

Photographer: Larry G. Bezark Determiner: Martins Collection Location: San Jose, Costa Rica 24630
|
|