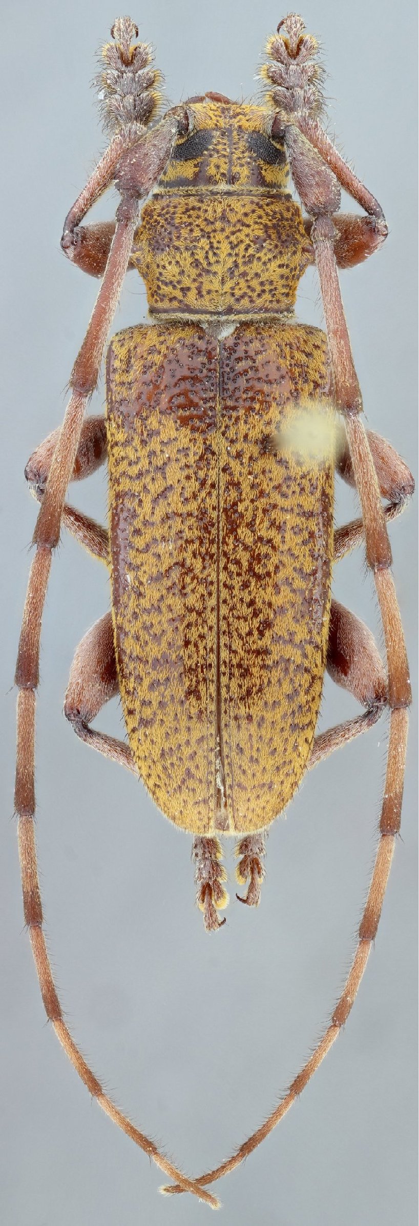
_Ch_and_Nog_UNAM_Chamela_Jalisco_Mex.jpg)
Specimen Type: holotype Sex: m Institution: UNAM Instituto de Biología, Universidad Nacional Autónoma de México, Mexico City Photographer: Susan Gomez (UNAM) Collection Location: Chamela, Jalisco, Mexico 30040
|
_Ch_and_Nog_UNAM_Chamela_Jalisco_Mex.jpg)
Specimen Type: holotype Sex: m Institution: UNAM Instituto de Biología, Universidad Nacional Autónoma de México, Mexico City Photographer: Susan Gomez (UNAM) Collection Location: Chamela, Jalisco, Mexico 30041
|
_Ch_and_Nog_UNAM_Chamela_Jalisco_Mex.jpg)
Specimen Type: holotype Sex: m Institution: UNAM Instituto de Biología, Universidad Nacional Autónoma de México, Mexico City Photographer: Susan Gomez (UNAM) Collection Location: Chamela, Jalisco, Mexico 30042
|
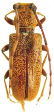
_Chemsak_and_Noguera_Chamela_Jalisco_Mexico_UCB_100104.jpg)
Specimen Type: paratype Institution: UCB Essig Museum of Entomology, Berkeley, California, USA Photographer: Larry G. Bezark Collection Location: Chamela, Jalisco, Mexico 7556
|
_aurantius_(h-f)_M_and_G_ACMT_Bacalar_Q_Roo_Mexico.jpg)
Estoloides aurantius Martins & Galileo Specimen Type: holotype Sex: f Institution: ACMT American Coleoptera Collection, Texas (now at FSCA) Collection Location: Bacalar, Quintana Roo, Mexico 28436
|

Institution: WHTC William H. Tyson Collection, Coarsegold, California, USA Photographer: Larry G. Bezark Collection Location: 5 km S of Flores, Peten, Guatemala 49095
|

Institution: WHTC William H. Tyson Collection, Coarsegold, California, USA Photographer: Larry G. Bezark Collection Location: 5 km S of Flores, Peten, Guatemala 49096
|
_Chem_Nog_SS_photo.jpg)
Sex: m Photographer: Antonio Santos-Silva 63896
|
_Chem_Nog_SS_photo.jpg)
Sex: f Photographer: Antonio Santos-Silva 63897
|
|