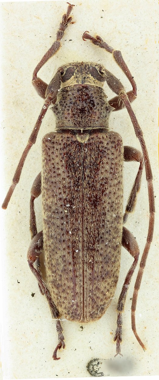
_Bates_BMNH_Volcan_deChiriqui_Panama_nowEstoloides_LGB.jpg)
Estola prolongata Bates Specimen Type: syntype Institution: BMNH British Museum Natural History, London, UK Photographer: Larry G. Bezark Collection Location: Volcan de Chiriquí, Panama 16481
|
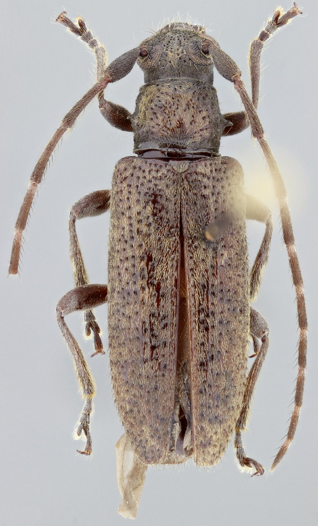
_Bates_BMNH_Keita Matsumoto_Estoloides.jpg)
Estola prolongata Bates Specimen Type: syntype Institution: BMNH British Museum Natural History, London, UK Photographer: Keita Matsumoto Collection Location: Volcan de Chiriquí, Panama 63907
|
_Bates_BMNH_Keita Matsumoto_Estoloides.jpg)
Estola prolongata Bates Specimen Type: syntype Institution: BMNH British Museum Natural History, London, UK Photographer: Keita Matsumoto Collection Location: Volcan de Chiriquí, Panama 63908
|
_Bates_BMNH_Keita Matsumoto_Estoloides.jpg)
Estola prolongata Bates Specimen Type: syntype Institution: BMNH British Museum Natural History, London, UK Photographer: Keita Matsumoto Collection Location: Volcan de Chiriquí, Panama 63909
|
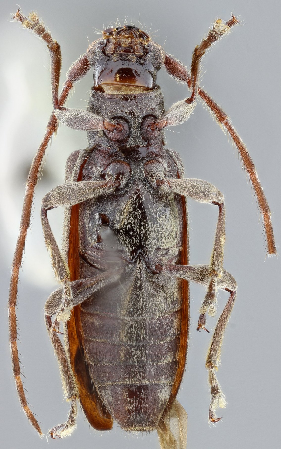
_(Bates)_SS.jpg)
Sex: m Photographer: Antonio Santos-Silva 63910
|
_(Bates)_SS.jpg)
Sex: f Photographer: Antonio Santos-Silva 63911
|
_(Bates)_SS.jpg)
Sex: f Photographer: Antonio Santos-Silva 63912
|
_(Bates)_SS.jpg)
Sex: f Photographer: Antonio Santos-Silva 63913
|
_(Bates)_SS.jpg)
Sex: f Photographer: Antonio Santos-Silva 63914
|