New Search Family, Subfamily and Tribe List

SubFamily Lamiinae

Tribe Desmiphorini
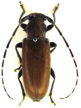
Estoloides alboscutellaris Breuning 1943

Specimen Type: holotype
Sex: f
Institution: MNHN Museum of Natural History Paris, France
Collection Location: Saint-Jean du Maroni, French Guiana
63964


Photographer: Jean-Louis Giuglaris
Collection Location: pt Saut, French Guiana
28752

130425