New Search Family, Subfamily and Tribe List

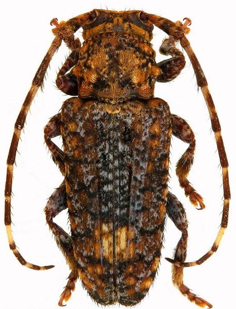
SubFamily Lamiinae

Tribe Desmiphorini
Estola variegata Bates 1866

Specimen Type: holotype
Institution: MNHN Museum of Natural History Paris, France
16484


Photographer: Jean-Louis Giuglaris
Collection Location: Kaw, French Guiana
68055


Photographer: Jean-Louis Giuglaris
Collection Location: Regina, French Guiana
28751

130425