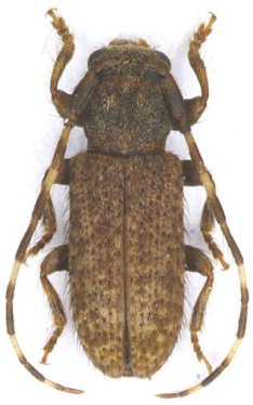
_Bates_MNHN_FTH.jpg)
Specimen Type: syntype Institution: MNHN Museum of Natural History Paris, France Photographer: Frank T. Hovore Collection Location: Para, Brazil 16479
|
 Bates MNHN Para, Brazil Moure.jpg)
Specimen Type: syntype Institution: MNHN Museum of Natural History Paris, France Photographer: JS Moure Collection Location: Para, Brazil 95684
|