 Breuning MNHN Marco da Legua, Para, Brazil JS Moure.jpg)
Specimen Type: holotype Institution: MNHN Museum of Natural History Paris, France Photographer: JS Moure Collection Location: Marco da Legua, Para, Brazil 78590
|

Sex: m Institution: MZSP Museu de Zoologia da Universidade de São Paulo, Brazil Photographer: Larry G. Bezark Determiner: Monne, compared with type photo Collection Location: Satipo, Junin, Peru 33373
|
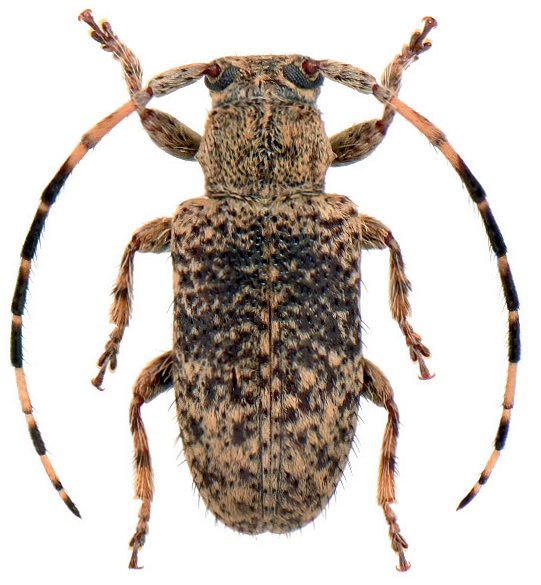
 Breuning CAS km 3 Napo-Galeras Road, Napo Ecuador SS.jpg)
Sex: m Photographer: Antonio Santos-Silva Collection Location: km 3 Napo-Galeras Road, Napo, Ecuador 78591
|
 Breuning CAS km 3 Napo-Galeras Road, Napo Ecuador SS.jpg)
Sex: f Photographer: Antonio Santos-Silva Collection Location: km 3 Napo-Galeras Road, Napo, Ecuador 78592
|
 Breuning Montagne de Kaw, French Guiana Roguet.jpg)
Sex: f Institution: Roguet Collection Photographer: Jean-Philippe Roguet Collection Location: Montagne de Kaw, French Guiana 96765
|
|