
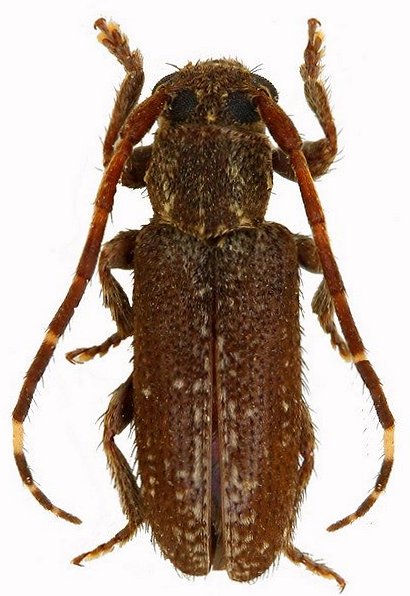
Institution: LGBC Larry G. Bezark Collection, Sacramento, California, USA Photographer: Larry G. Bezark Determiner: Martins Collection Location: 62 km SE Ariquemes, Rondonia, Brazil 24625
|

Institution: LGBC Larry G. Bezark Collection, Sacramento, California, USA Photographer: Larry G. Bezark Determiner: Martins Collection Location: 62 km SE Ariquemes, Rondonia, Brazil 24626
|