New Search Family, Subfamily and Tribe List

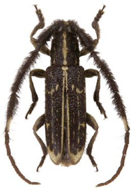
SubFamily Lamiinae

Tribe Desmiphorini
Heteresmia turbata (Pascoe, 1859)

Specimen Type: holotype
Institution: BMNH British Museum Natural History, London, UK
Photographer: Larry G. Bezark
Collection Location: Para, Brazil
46722


7492


Photographer: Julien Touroult
Collection Location: French Guiana
29561

130425