_Bates_MNHN_FTH.jpg)
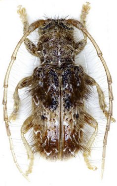
Specimen Type: holotype Sex: f Institution: MNHN Museum of Natural History Paris, France Collection Location: Obidos Forest, Para, Brazil 16046
|
 Bates Obidos Forest, Para, Brazil Moure.jpg)
Specimen Type: holotype Sex: f Institution: MNHN Museum of Natural History Paris, France Photographer: JS Moure Collection Location: Obidos Forest, Para, Brazil 95650
|