New Search Family, Subfamily and Tribe List

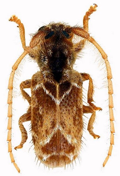
SubFamily Lamiinae

Tribe Desmiphorini
Desmiphora durantoni Tavakilian & Néouze 2004

Photographer: Jean-Louis Giuglaris
Collection Location: Kaw, French Guiana
22667


Photographer: Denis Faure
Collection Location: French Guiana
21821

130425