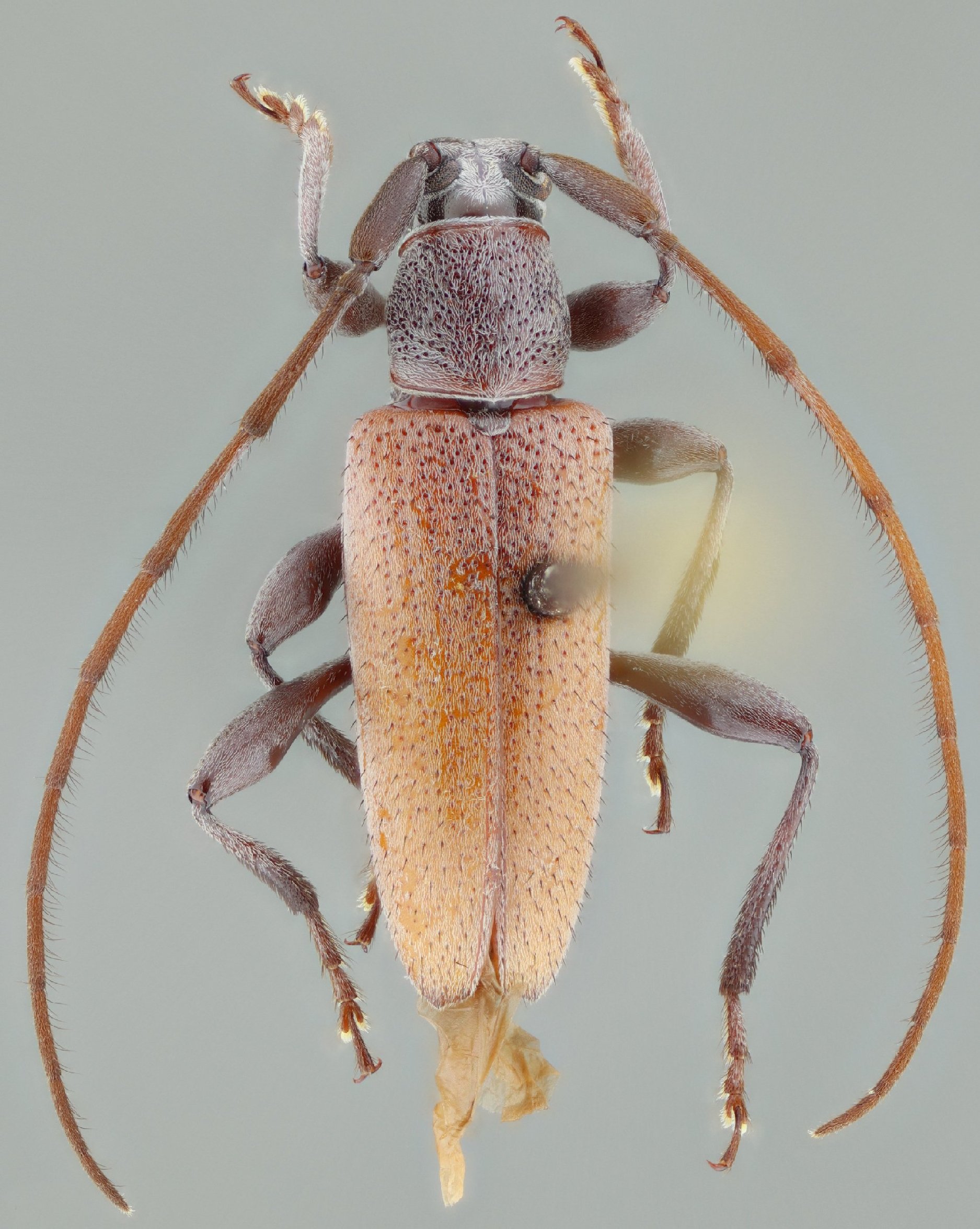
_Bates_BMNH_Chontales_Nicaragua_LGB.jpg)
Specimen Type: holotype Sex: m Institution: BMNH British Museum Natural History, London, UK Photographer: Larry G. Bezark Collection Location: Chontales, Nicaragua 46586
|
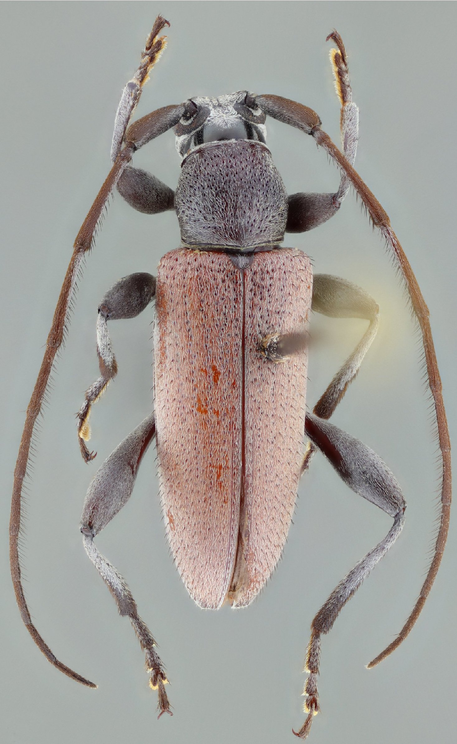
_Bates_BMNH_Chontales_Nicaragua_LGB.jpg)
Specimen Type: holotype Sex: m Institution: BMNH British Museum Natural History, London, UK Photographer: Larry G. Bezark Collection Location: Chontales, Nicaragua 46587
|
 Bates MZSP Sinaloa, Mexico SS.jpg)
Sex: m Institution: MZSP Museu de Zoologia da Universidade de São Paulo, Brazil Photographer: Antonio Santos-Silva Collection Location: Sinaloa, Mexico 81021
|
 Bates MZSP Sinaloa, Mexico SS.jpg)
Sex: m Institution: MZSP Museu de Zoologia da Universidade de São Paulo, Brazil Photographer: Antonio Santos-Silva Collection Location: Sinaloa, Mexico 81022
|
 Bates MZSP Sinaloa, Mexico SS.jpg)
Sex: m Institution: MZSP Museu de Zoologia da Universidade de São Paulo, Brazil Photographer: Antonio Santos-Silva Collection Location: Sinaloa, Mexico 81023
|
 Bates MZSP Sinaloa, Mexico SS.jpg)
Sex: m Institution: MZSP Museu de Zoologia da Universidade de São Paulo, Brazil Photographer: Antonio Santos-Silva Collection Location: Sinaloa, Mexico 81024
|

Institution: BCA Biologia Centrali Americana 6385
|

Institution: LGBC Larry G. Bezark Collection, Sacramento, California, USA Photographer: Larry G. Bezark Determiner: Frank Hovore Collection Location: Plata Road, 2 mi E. North Mazatlan, Sinaloa, Mexico 6386
|

Photographer: Ole Mehl Collection Location: SW Cancun, Mexico 39308
|
|