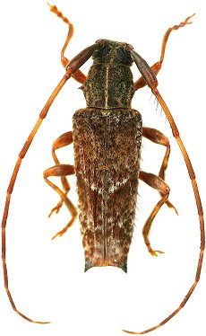
_Brerun_BMNH_Cayenne_FrG_nowBlabia_LGB.jpg)
Prymnopteryx similis Breuning Specimen Type: holotype Institution: BMNH British Museum Natural History, London, UK Photographer: Larry G. Bezark Collection Location: Cayenne, French Guiana 47255
|
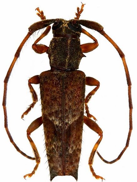
_MZSP_Route_de_Kaw_Fr_Guiana_det_Martins.jpg)
Institution: MZSP Museu de Zoologia da Universidade de São Paulo, Brazil Photographer: Larry G. Bezark Determiner: Martins Collection Location: Route de Kaw, French Guiana 33137
|
_MZSP_Chichi_Riviche_Venez_det_Martins.jpg)
Institution: MZSP Museu de Zoologia da Universidade de São Paulo, Brazil Photographer: Larry G. Bezark Determiner: Martins Collection Location: Chichi Riviche, Venezuela 33138
|

Photographer: Odette Morvan Collection Location: French Guiana 39970
|
_Kaw_FG_JLG.jpg)
Photographer: Jean-Louis Giuglaris Collection Location: Kaw, French Guinea 67933
|
|